HRERA PanchkulaTemp Project Id : RERA-PKL-PROJ-442-2019
Submission Date : 30-03-2019 02:49:07 AM
Applicant Type : Company
Project Type: ONGOING




M/S. OMAXE LTD.
SHOP NO. 19-B, FIRST FLOOR, OMAXE CELEBRATION MALL, SOHNA ROAD, GURGAON-122001, HARYANA
01141896680
9876911201 (Number Shared by Promoter in Public)
haryana_rera@omaxe.com
http://omaxe.com
XXXX171H
L74899DL1989PLC035389
 
 


 
 


 
 


 
 


 
 


 
 


 
 







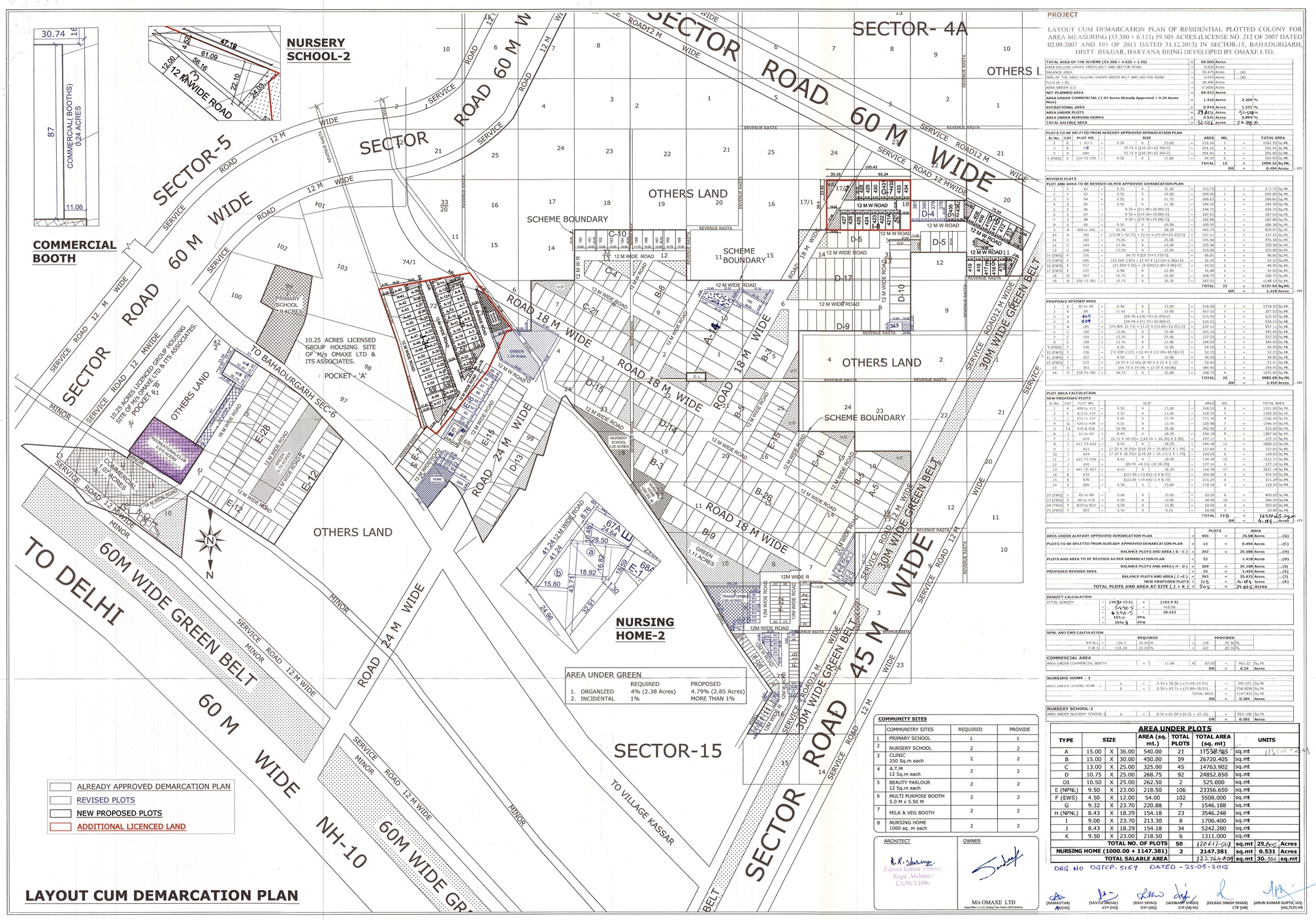
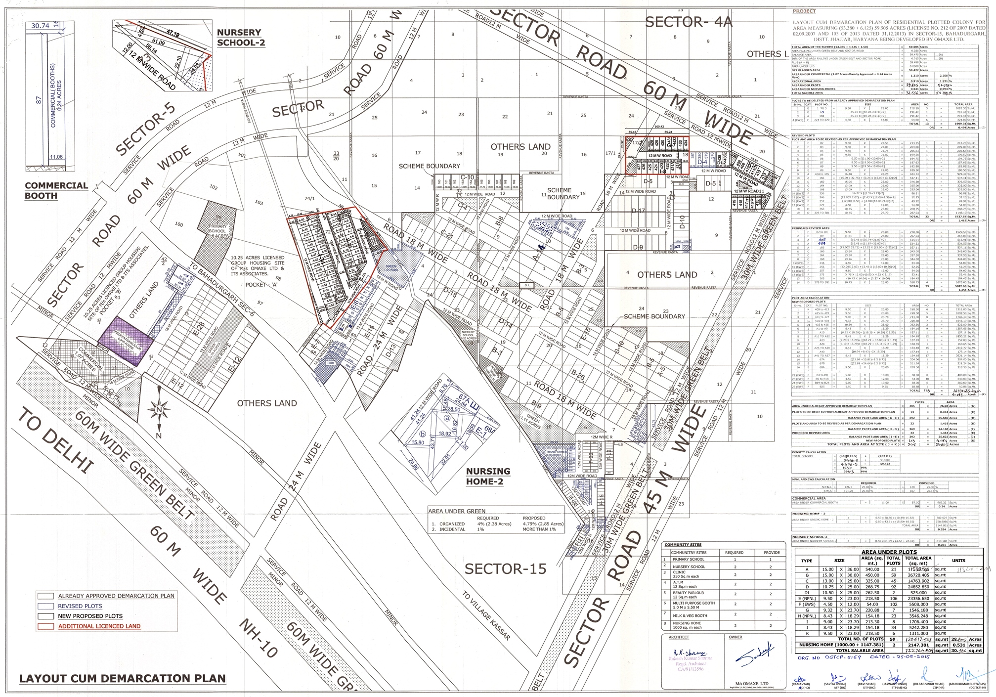
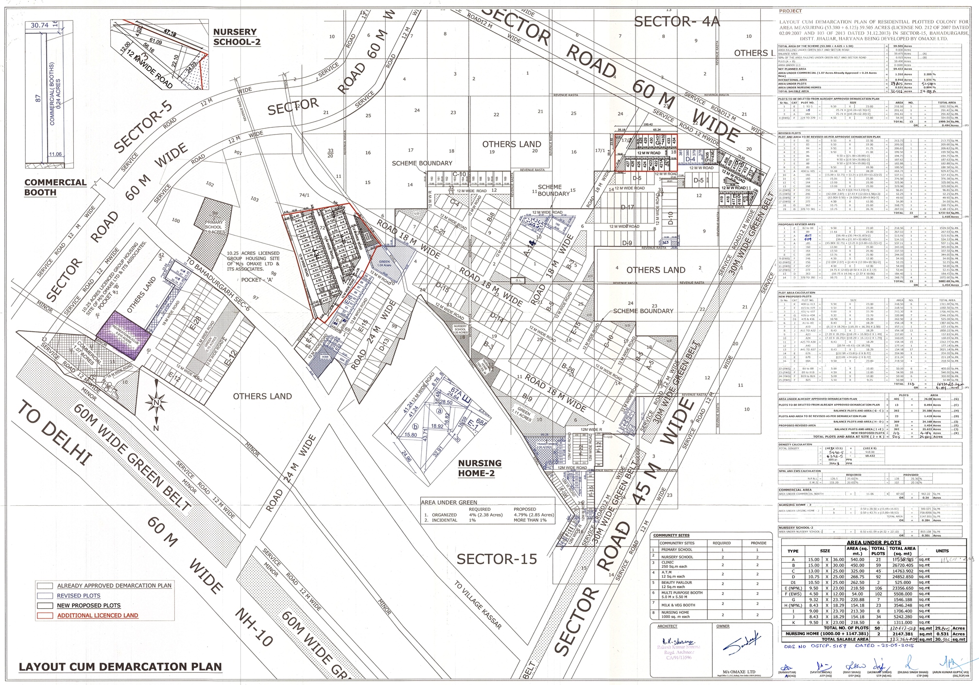
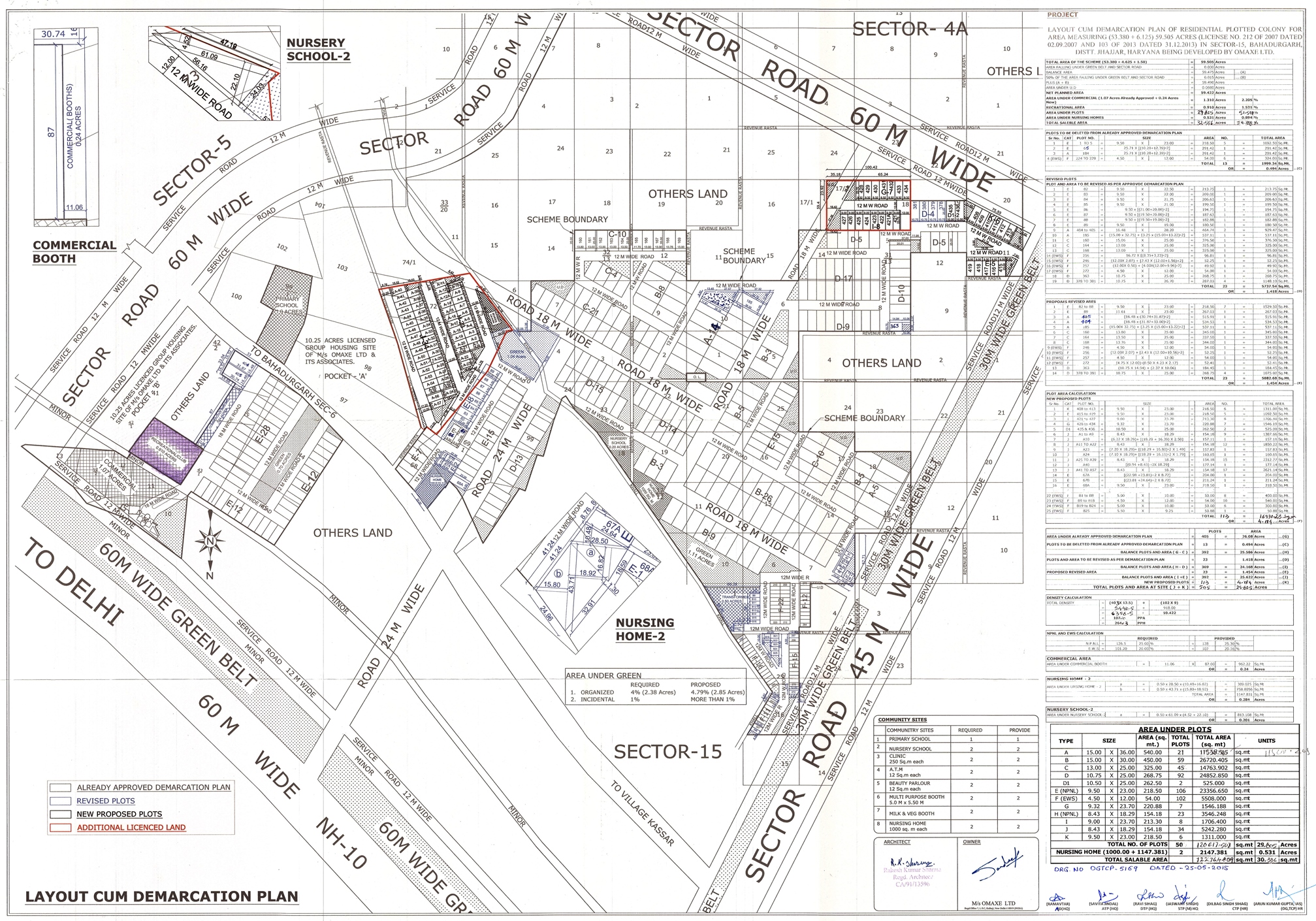
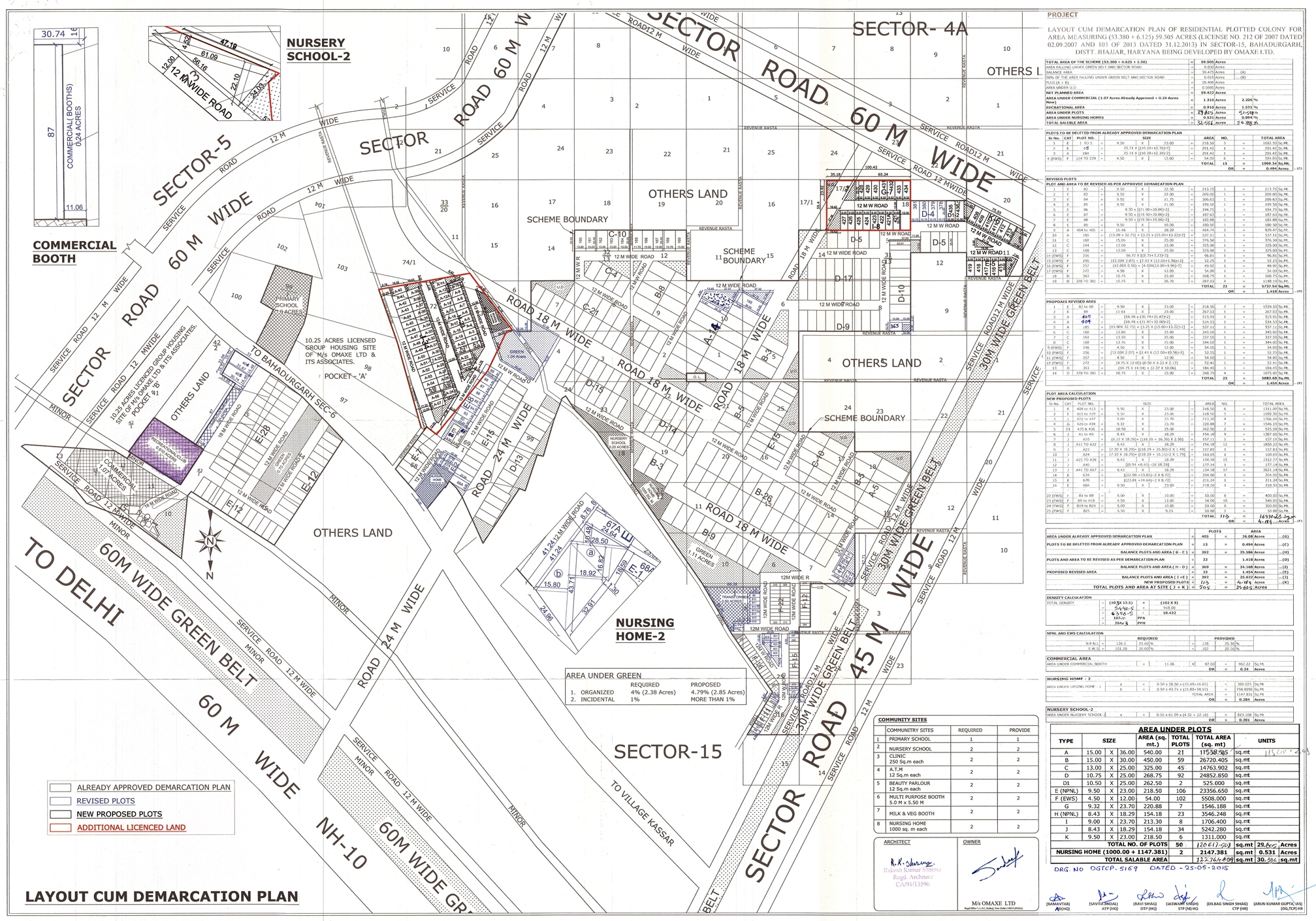
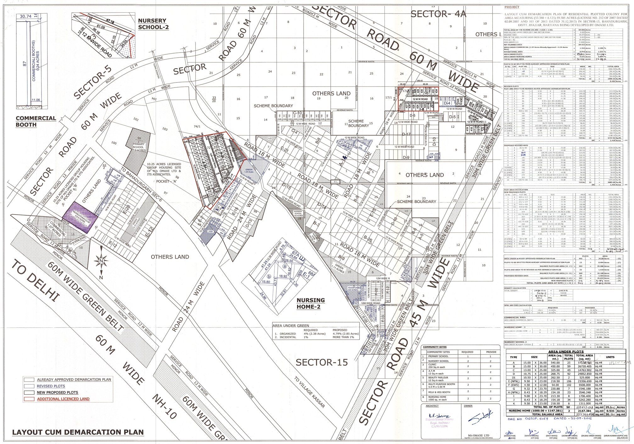
PROJECT AREA 1.07 ACRES COMMERCIAL( PART OF RESIDENTIAL PLOTTED COLONY)
SECTOR-15, BAHADURGARH, HARYANA
JHAJJAR
JHAJJAR
9876911201 (Number Shared by Promoter in Public)
haryana_rera@omaxe.com
SUMIT MITTAL
9876911201 (Number Shared by Promoter in Public)
haryana_rera@omaxe.com








As per sub-rule(2) of rule 3 of the Haryana Real Estate (Regulation and Development) Rules,2017, the fee for registration of the project as has been calculated as follows:
-----------------------------------------------------------------------------------------------------------------------
-----------------------------------------------------------------------------------------------------------------------
-----------------------------------------------------------------------------------------------------------------------
-----------------------------------------------------------------------------------------------------------------------
2. The aforesaid fees is hereby deposited vide following Drafts/ Banker’s Cheques:-

Sr No.Draft/Cheque No.Draft DateAmountPayee BankPayable To
12796628-07-201746000AXIS BANK LTDHRERA Panchkula







4330.13 (Sqr/mtrs)
4546.636
1
4330.13 (Sqr/mtrs)
212 of 2001 103 of 2013
Yes







842 Lakhs
61 Lakhs
575 Lakhs
0 Lakhs
206 Lakhs




Sr. No.Land area under usageArea of land (Square Meters)
1PLOTS TO BE SOLD 0
2LAND AREA TO BE USED FOR CONSTRUCTION OF APARTMENTS 4354.86
3CONSTRUCTION OF ROADS 0
4PAVEMENTS 2826.67
5PARKS AND PLAYGROUNDS 0
6GREEN BELTS 0
7VEHICLE PARKINGS 0
8ELECTRICITY SUB-STATION 0
9CLUB HOUSE 0
10SEWAGE AND SOLID WASTE TREATMENT FACILITY 0
11AREA TO BE LEFT FOR TRANSFERRING TO THE GOVERNMENT FOR COMMUNITY SERVICES 0
12ANY OTHER 0
Total7181.53




FacilityExternal/ connecting service to be provided by (Name the agency)Whether Approval taken from the agency concerned. Yes/No (Annex details in folder C)
ROADSPUBLIC WELFARE DEVELOPMENTYes
WATER SUPPLYCENTRAL GROUND WATER AUTHORITY MINISTRY OF WATER RESOURCESYes
ELECTRICITYUTTAR HARYANA BIJLI VITRAN NIGAM LTDYes
SEWAGE DISPOSALHARYANA STATE POLLUTION CONTROL BOARDYes
STORM WATER DRAINAGEHARYANA STATE POLLUTION CONTROL BOARDYes




Sr. No.Name of the facilityEstimated cost (In Lakhs)(Within the project area only)Remarks: Yet to be prepared / Submitted to HUDA, Town & Country Planning Department/ as per project report etc. (Annex relevant documents showing costing details etc. in folder C)
1INTERNAL ROADS AND PAVEMENTS0YET TO BE PREPARED
2WATER SUPPLY SYSTEM0YET TO BE PREPARED
3STORM WATER DRAINAGE0YET TO BE PREPARED
4ELECTRICITY SUPPLY SYSTEM0YET TO BE PREPARED
5SEWAGE TREATMENT & GARBAGE DISPOSAL0YET TO BE PREPARED
6STREET LIGHTING0YET TO BE PREPARED
7SECURITY AND FIRE FIGHTING0YET TO BE PREPARED
8PLAYGROUNDS AND PARKS0YET TO BE PREPARED
9CLUB HOUSE/COMMUNITY CENTRE0YET TO BE PREPARED
10SHOPPING AREA0YET TO BE PREPARED
11RENEWABLE ENERGY SYSTEM0YET TO BE PREPARED
12SCHOOL0YET TO BE PREPARED
13HOSPITAL/DISPENSARY0YET TO BE PREPARED
14ANY OTHER0YET TO BE PREPARED


18-06-2015 (date)
18-06-2015 (date)


Sr. No.Plot/ apartment type Size of the plot/carpet area of the apartments Total number of plots/apartments in the project Total size of the plots/carpet area of the apartments Plots/apartments booked/ sold upto the date of application Yet to be sold/ booked No. of towers to be/ being constructed for booked apartments
1 APARTMENT/SHOPS/OTHER BUILDINGS Type BOOTH 9.56 6 57.36 0 6 0
2 APARTMENT/SHOPS/OTHER BUILDINGS Type SCO G+2 WITH BASEMENT 78.87 13 1025.31 11 2 0
3 APARTMENT/SHOPS/OTHER BUILDINGS Type SCO G+2 SERVICE FLAT FIRST FLOOR 42.45 13 551.85 13 0 0
4 APARTMENT/SHOPS/OTHER BUILDINGS Type SCO G+2 SERVICE FLAT SECOND FLOOR 42.45 13 551.85 13 0 0
5 APARTMENT/SHOPS/OTHER BUILDINGS Type SCO PLOT 15.60 10 156 10 0 0
6 APARTMENT/SHOPS/OTHER BUILDINGS Type SCO PLOT FOR CLINIC 22.66 1 22.66 1 0 0
Total562365.034880






TypeNumber of apartments booked/ sold Write or Annex the stage of construction of the booked/ sold apartments in folder C
00


01-07-2015
31-12-2019
31-12-2019
01-07-2015
82
31-12-2019


PlotsBooked/soldStage of handing over the possession (Write or Annex details)
PLOT00
01-07-2015
82
31-12-2019


0
0
0
0
0





Expenditure incurred till the date of application (In Lakhs)

ParticularsExpenditure

Expenditure to be made in each quarter (In Lakhs)

ParticularsYear-2018
Jan-MarApr-JuneJuly-SepOct-Dec
Apartments406058
Shops000
Plots000




Expenditure incurred till the date of application (In Lakhs)

ParticularsExpenditure

Expenditure to be made in each quarter (In Lakhs)

ParticularsExpenditure to be made in each quarter (2018)
Apr-JuneJuly-SepOct-DecJan-Mar












Particulars Remarks, if any
i. No. of Flats/Apartments constructed56
ii. No. of Flats/ Apartments booked48
iii. Total amount sale value of booked Flats, on the date of application/end of last quarter1449 Lakhs
iv. Total amount received from the allottees (booked Flats), on the date of application/end of last quarter1147 Lakhs
v. Balance amount to be received from the allottees (booked Flats, after completion), on the date of application/end of last quarter254 LakhsUndue Amount
vi. Balance amount due and recoverable from the allottees (booked Flats) as on the date of application /end of last quarter48 LakhsDue Amount
vii. Amount invested in the project upto the date of application0 Lakhs
Land cost (If any)61.46 Lakhs
Apartments416.79 Lakhs
Infrastructure0 Lakhs
EDC/ Taxes Etc.210.22 Lakhs
viii. Balance cost to be incurred for completion of the project and delivery of possession153.33 Lakhs
(a) In respect of existing allottees0 Lakhs
(b) In respect of rest of the project0 Lakhs
ix. The amount of loan raised from the banks/ financial institutions/ private persons against the project
Annex detail of the securities furnished to the banks/ financial institutions against the aforesaid loans in folder C
0 Lakhs
x. Total liabilities against the project up-to-date. (Annex details in folder C) 0 Lakhs



Particulars Estimated expenditure planned to be incurred as per service plan estimates or the project report. (In Lakhs)Actual expenditure incurred upto the date of application. (In Lakhs)
I. INTERNAL ROADS AND PAVEMENTS00
II. WATER SUPPLY SYSTEM00
III. STORM WATER DRAINAGE00
IV. ELECTRICITY SUPPLY SYSTEM00
V. SEWAGE TREATMENT & GARBAGE DISPOSAL00
VI. CLUB HOUSE/COMMUNITY CENTRE00
VII. SCHOOL00
VIII. ANY OTHER00
IX. SOLID WASTE COLLECTION & MGMT SYSTEM00
X. CLUBHOUSE00
XI. NEIGHBOURHOOD SHOPPING00
XII. GREEN AREAS,PARKS,PLAYGROUNDS ETC.00
XIII. COVERED PARKING00
XIV. OPEN PARKING00
XV. GARAGES00
XVI. SECURITY SYSTEM00
XVII. OTHER FACILITIES AS PER PROJECT REPORT00









Yes
Yes
AXIS BANK LIMITED, D-81, MALVIYA NAGAR, NEW DELHI-110017
917020065406992
UTIB0000206
110211024
206
Ms Sulekha Mandahar, Mr Manish Goel Ms Vijaya Laxmi Purohit Mr Vinit Goyal Address- Omaxe House, LSC, Building no 7, Kalkaji, New Delhi
Annexed in folder D











Yes
Yes
Yes
Yes
No
No
No
No
No
No


Yes
Yes
Yes
Yes
Yes
No
No
No
Statutory Approvals Statutory Approvals StatusDate
I. GRANT OF LICENSEALREADY BEEN OBTAINEDNA
II. SERVICE PLAN ESTIMATEALREADY BEEN OBTAINEDNA
III. ENVIRONMENT CLEARNACE NO.- 21-750/2007-IA IIIALREADY BEEN OBTAINEDNA
IV. APPROVAL OF FIRE FIGHTING SCHEMEALREADY BEEN OBTAINEDNA
V. SEWER CONNECTION FOR CONSTRUCTION OF SEWER LINE. MEMO NO. 127628 ALREADY BEEN OBTAINEDNA
VI. APPROVAL FOR DISPOSAL OF HAZARDOUS WASTE MEMO NO. HSPCB/CONSENT/ : 2821216JHACTOHWM2404235 ALREADY BEEN OBTAINEDNA
VII. CONSENT TO OPERATE FOR DISCHARGE OF EFFLUENT MEMO NO. HSPCB/CONSENT/ : 2821216JHACTO2404235 ALREADY BEEN OBTAINEDNA
VIII. GRANT OF CONSENT FOR EMMISSION OF AIR MEMO NO. HSPCB/CONSENT/ 2821214JHACTOHWM397979 ALREADY BEEN OBTAINEDNA
IX. APPROVAL OF ELECTRIFICATION PLAN MEMO NO. CH-06/SS-403/421/CGM/C-II ALREADY BEEN OBTAINEDNA








Yes


Yes


Gist of the Agreement for Sale, Haryana The model agreement for sale as provided under HRERA rules, 2017 contains detailed information, procedure, events and consequences about: The promoter its competency to enter into agreement with allottee, land owners, project land and the sale deeds vide which the land was procured including details of requisite sanctions/approvals obtained from the concerned competent authorities including RERA, required for opening/launching of project for sale. The nature of the project i.e. residential/commercial/industrial/IT/any other including the details of cost, taxes, payment plan, specifications, area, amenities, appurtenances, time of completion etc. of unit being allotted under the agreement. Any discount to be provided on early payment by the allottee as per agreed terms and the authority of promoter and procedure about the change/modification in the existing plans, designs, specifications, amenities etc. The rights and obligations of allottee with respect to the allotted unit including cancellation, payment and manner of outstanding dues. The procedure regarding assignment of allotment rights. Time and procedure of possession of the allotted unit and consequences in case of failure of take over possession by the allottee. Compensation to the allottee by the promoter in case of default/defect on its part including delay in handing over possession. Events of default by the promoter and the allottee including delay or failure to make payment of due intsallments and consequences thereof.







COMMERCIAL SITE 2.80 ACRES IN PLOTTED COLONY 88.407, IN SECTOR- 3,3A & 14, BAHADURGARH, HARYANA.
2.80
237
0
205
0
Initially estimated cost (In Lakhs)Revised cost (In Lakhs)Expenditure incurred upto the date of application (In Lakhs)
Total cost of the project
(Other than cost of land)
250101742.77
Cost of the apartments000
Cost of the infrastructure000
Others costs000


2703 Lakhs
3959 Lakhs
0 Lakhs
0 Lakhs
No
30-11-2018
31-12-2018




GROUP HOUSING COLONY, AREA MEASURING 12.537 ACRES, SECTOR – 4A, BAHADURGARH, HARYANA.
12.537
1026
0
879
0
Initially estimated cost (In Lakhs)Revised cost (In Lakhs)Expenditure incurred upto the date of application (In Lakhs)
Total cost of the project
(Other than cost of land)
248.960146.86
Cost of the apartments000
Cost of the infrastructure000
Others costs000


156.27 Lakhs
56.92 Lakhs
66.64 Lakhs
66.64 Lakhs
No
31-12-2016
31-12-2019




AFFORDABLE PLOTTED COLONY, AREA MEASURING 8.46875 ACRES, SECTOR – 22D, ROHTAK, HARYANA.
8.46875
0
167
0
80
Initially estimated cost (In Lakhs)Revised cost (In Lakhs)Expenditure incurred upto the date of application (In Lakhs)
Total cost of the project
(Other than cost of land)
1538.2201212.85
Cost of the apartments000
Cost of the infrastructure000
Others costs000


320 Lakhs
743 Lakhs
0 Lakhs
0 Lakhs
Yes
31-12-2019
31-12-2019




AFFORDABLE PLOTTED COLONY, AREA MEASURING 5.6125 ACRES, SECTOR – 22D, ROHTAK, HARYANA.
5.6125
0
115
0
50
Initially estimated cost (In Lakhs)Revised cost (In Lakhs)Expenditure incurred upto the date of application (In Lakhs)
Total cost of the project
(Other than cost of land)
1019.590807.76
Cost of the apartments000
Cost of the infrastructure000
Others costs000


135 Lakhs
595 Lakhs
0 Lakhs
0 Lakhs
No
31-12-2019
31-12-2019










SPECIFICATION OF CONSTRUCTION
Specification of apartments and other buildings including the following:
1FLOORING DETAILS OF VARIOUS PARTS OF HOUSEVITRIFIED TILE IN INTERNAL FLOOR
2WALL FINISHING DETAILS"1) INTERNAL PLASTER WITH PLEASING SHADE OF OBD. 2) EXTERNAL PLASTERED AND CERAMIC TILE TEXTURED SURFACE. "
3KITCHEN DETAILSCUPBOARD AND MODULAR KITCHEN IN FLATS WITH POLISHED STONE ON TOP.
4BATHROOM FITTINGS"1.WALL: CERAMIC TILE UPTO 2100 MM HEIGHT. 2. FLOOR- CERAMIC TILES. "
5WOOD WORK ETCWOODEN FLUSH DOOR IN FLATS AND ROLLING SHUTTER IN SHOPS
6DOORS AND WINDOS FRAMES INTERNAL DOOR FRAMES OF WOODEN
7GLASS WORKNA
8ELECTRIC FITTINGSTYPE OF ELECTRICAL WIRES USED- ALUMINIUM WIRES.(HAVELLS MAKE)
9CONDUCTING AND WIRING DETAILSCOPPER CONCEALED
10CUPBOARD DETAILSNA
11WATER STORAGEPVC TANKS
12LIFT DETAILSNA
13EXTERNAL GLAZINGSNA
13.1WINDOWS/GLAZINGSUPVC WINDOW IN SERVICE APARTMENT AND ROLLING SHUTTER IN SHOPS.
14DOORSNA
14.1MAIN DOORSFLUSH DOORS
14.2INTERNAL DOORSFLUSH DOORS
15AIR CONDITIONINGN/A
16ELECTRICAL FITTINGS2 FANS & DECORATIVE LIGHTS IN CASE OF SERVICE APARTMENTS
17CNG PIPE LINEN/A
18PROVISION OF WIFI AND BROADBAND FACILITYN/A
19EXTERNAL FINISHING/COLOUR SCHEMETEXTURED PAINT
20INTERNAL FINISHINGOBD
SPECIFICATION UNIT WISE
1 . LIVING/DINING/FOYER/FAMILY LOUNGE
1 . 1 FLOORVITRIFIED TILES FLOORING.
1 . 2 WALLSPLASTERED WITH OBD
1 . 3 CEILINGPLASTERED WITH OBD
2 . MASTER BEDROOM/DRESSROOM
2 . 1 FLOORNA
2 . 2 WALLSNA
2 . 3 CEILINGNA
2 . 4 MODULAR WARDROBESNA
3 . MASTER TOILET
3 . 1 FLOORNA
3 . 2 WALLSNA
3 . 3 CEILINGNA
3 . 4 COUNTERSNA
3 . 5 SANITARY WARE/CP FITTINGSNA
3 . 6 FITTING/FIXTURESNA
4 . BED ROOMS
4 . 1 FLOORNA
4 . 2 WALLSNA
4 . 3 CEILINGNA
4 . 4 WARDROBESNA
5 . TOILET
5 . 1 FLOORNA
5 . 2 WALLSNA
5 . 3 CEILINGNA
5 . 4 COUNTERSNA
5 . 5 SANITARY WARE/CP FITTINGSNA
5 . 6 FIXTURESNA
6 . KITCHEN
6 . 1 FLOORNA
6 . 2 WALLSNA
6 . 3 CEILINGNA
6 . 4 COUNTERSNA
6 . 5 FIXTURESNA
6 . 6 KITCHEN APPLIANCESNA
7 . UTILITY ROOMS/UTILITY BALCONY/TOILET
7 . 1 FLOORNA
7 . 2 WALLS & CEILINGNA
7 . 3 TOILETNA
7 . 4 BALCONYNA
8 . SIT-OUTS
8 . 1 FLOORNA
8 . 2 WALLS & CEILINGNA
8 . 3 RAILINGSNA
8 . 4 FIXTURESNA












Sr. No.Document DescriptionDate of Document UploadView Document
1 IN CASE OF GROUP HOUSING/ COMMERCIAL SITES, A COPY OF THE APPROVED SITE PLAN 28-03-2019 View Document
2 COPY OF LICENSE ALONG WITH SCHEDULE OF LAND 28-03-2019 View Document
3 CASH FLOW STATEMENT OF THE PROPOSED PROJECT 28-03-2019 View Document
4 NON DEFAULT CERTIFICATE FROM A CHARTERED ACCOUNTANT 28-03-2019 View Document
5 SERVICE PLANS SHOWING THE SERVICES ON THE LAYOUT PLAN 28-03-2019 View Document
6 DOCUMENTS RELATING TO THE ENTRY OF LICENSE AND COLLABORATION AGREEMENT IN THE REVENUE RECORD 28-03-2019 View Document
7 CERTIFICATE FROM A CHARTERED ACCOUNTANT CERTIFYING THAT THE INFORMSTION PROVIDED BY THE APPLICANT IN FORM REP-1-C-X IS CORRECT AS PER THE BOOKS OF ACCOUNTS/ BALANCE SHEET OF THE APPLICANT 28-03-2019 View Document
8 DEMARCATION PLAN 28-03-2019 View Document
9 ZONING PLAN 28-03-2019 View Document
10 A COMPLETE SET OF THE LAST APPROVED BUILDING PLANS 28-03-2019 View Document
11 DECLARATION SUPPORTED BY AFFIDAVIT DULY SIGNED BY THE PROMOTER TO BE ENCLOSED. 28-03-2019 View Document
12 IN CASE OF PLOTTED COLONY, THE LATEST LAYOUT PLAN 28-03-2019 View Document












Sr. No.Document DescriptionDate of Document UploadView Document
1 CERTIFICATE OF EXTENSION 08-08-2022 View Document
2 RC APPROVED 24-02-2025 View Document
3 Occupation Certificate 27-02-2026 View Document