HRERA PanchkulaTemp Project Id : RERA-PKL-PROJ-474-2019
Submission Date : 16-09-2020 01:11:44 PM
Applicant Type : Company
Project Type: ONGOING




SANTUR SPACES PRIVATE LIMITED
E 6 GROUND FLOOR GREATER KAILASH PART I NEW DELHI 110048
01146548102
9350992556 (Number Shared by Promoter in Public)
santurgroup@gmail.com
http://www.santurgroup.com
XXXX255K
U45201DL2012PTC237231
 
 


 
 


 
 


 
 


 
 







SANTUR SILVER SPRINGS
SECTOR 35
KARNAL
KARNAL
9996766008 (Number Shared by Promoter in Public)
santurgroup@gmail.com
ASHISH CHUTANI
9996766008 (Number Shared by Promoter in Public)
santur.ashish@gmail.com








As per sub-rule(2) of rule 3 of the Haryana Real Estate (Regulation and Development) Rules,2017, the fee for registration of the project as has been calculated as follows:
-----------------------------------------------------------------------------------------------------------------------
-----------------------------------------------------------------------------------------------------------------------
-----------------------------------------------------------------------------------------------------------------------
-----------------------------------------------------------------------------------------------------------------------
2. The aforesaid fees is hereby deposited vide following Drafts/ Banker’s Cheques:-

Sr No.Draft/Cheque No.Draft DateAmountPayee BankPayable To
141438729-01-2018170000KOTAK BANKHRERA Panchkula







9.51 (Acre)
2
2
9.51 (Acre)
56 of 2017 dated 24.7.2017
Yes







2632 Lakhs
175 Lakhs
1800 Lakhs
525 Lakhs
132 Lakhs




Sr. No.Land area under usageArea of land (Square Meters)
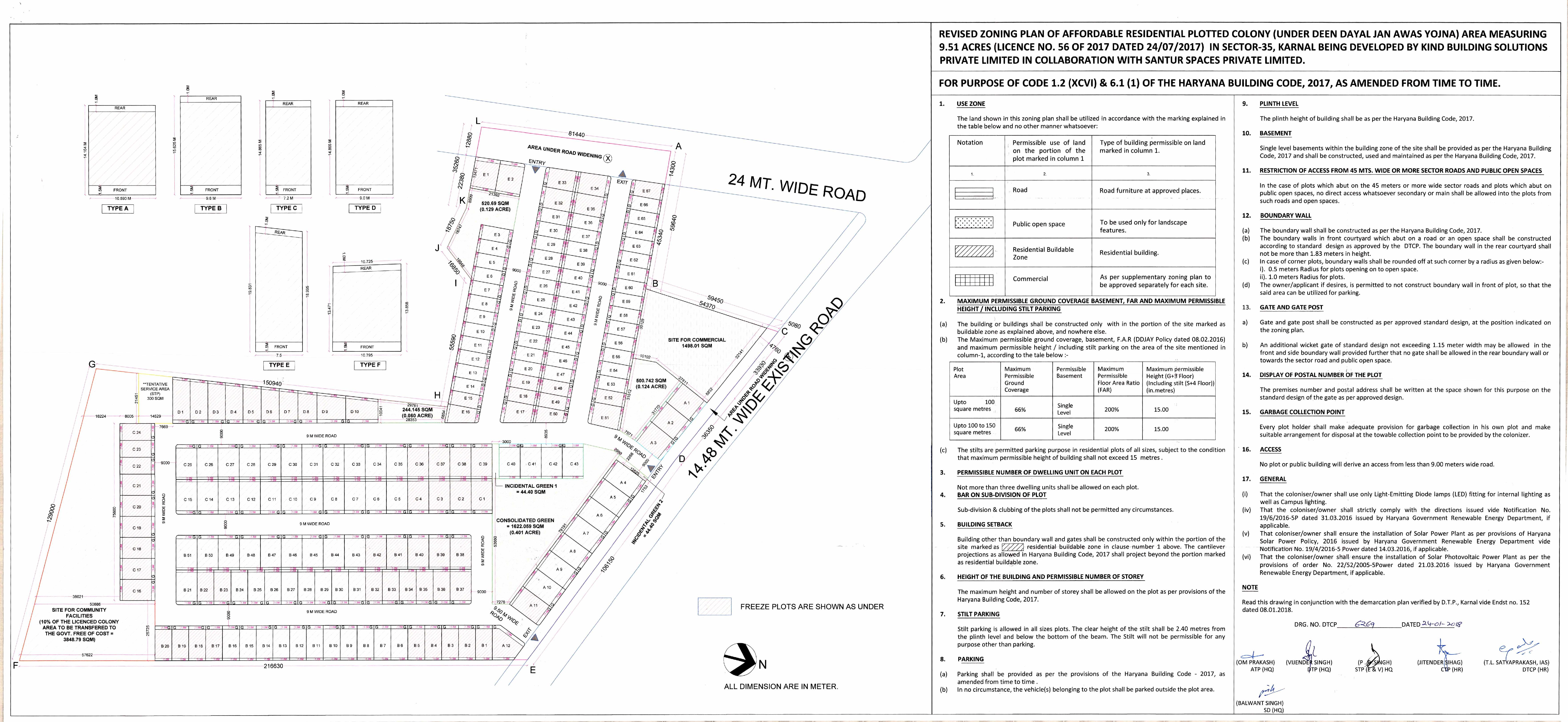
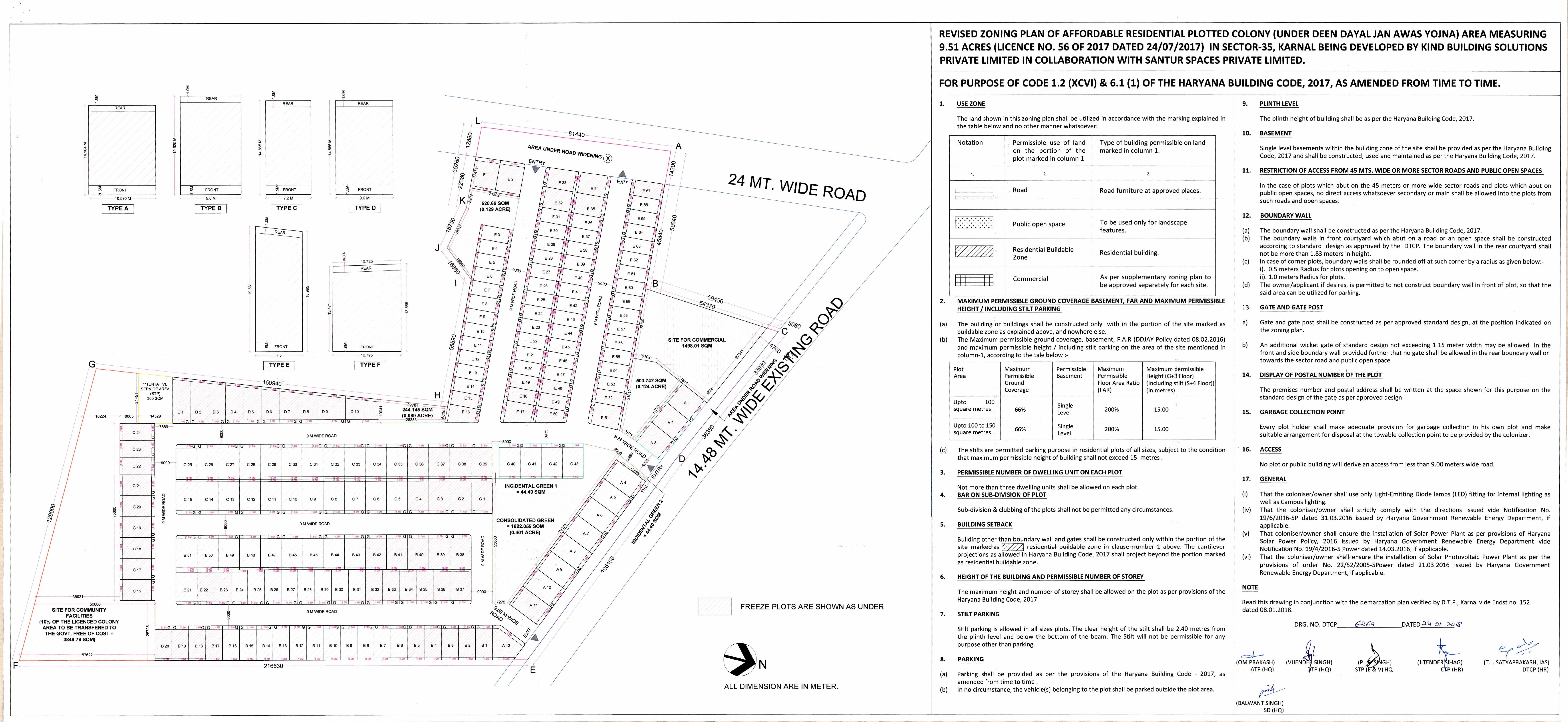
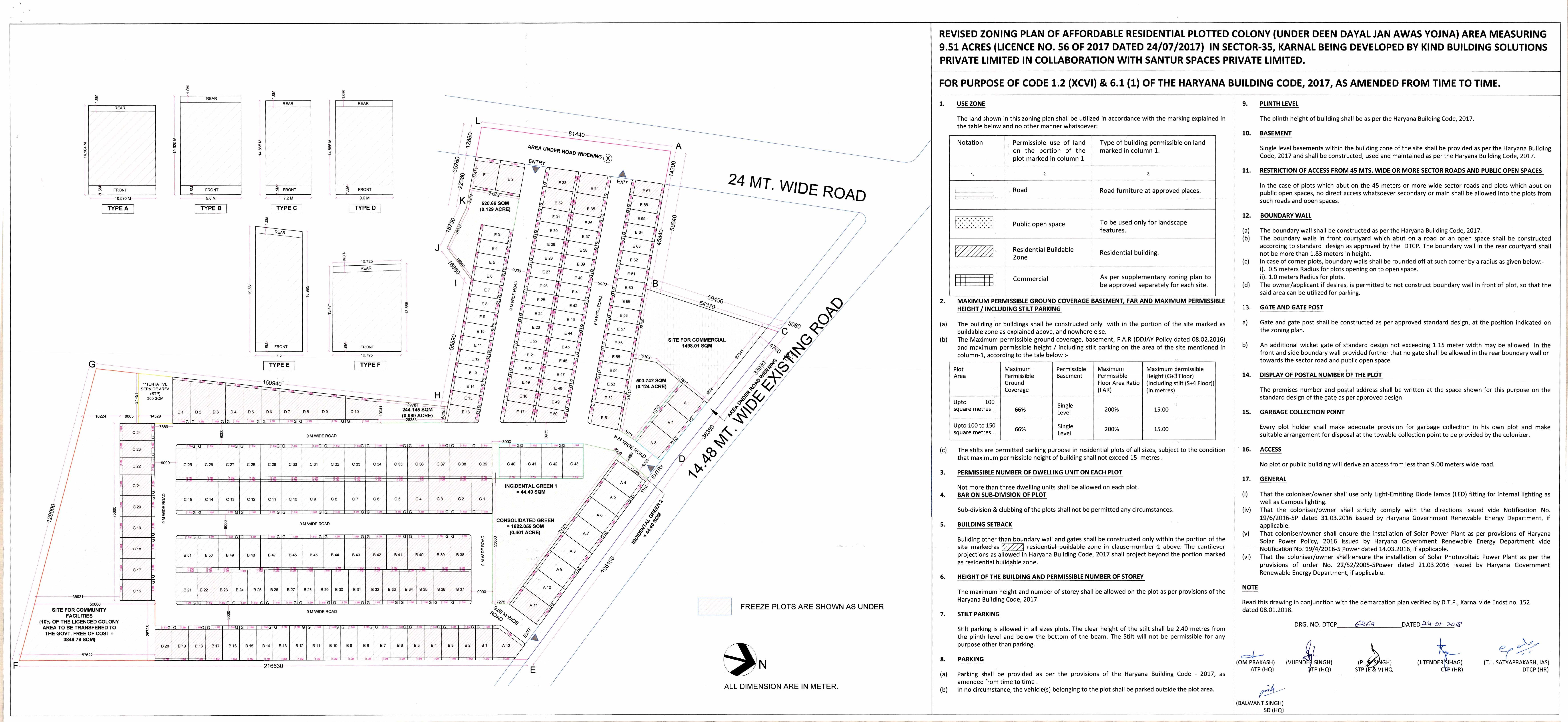
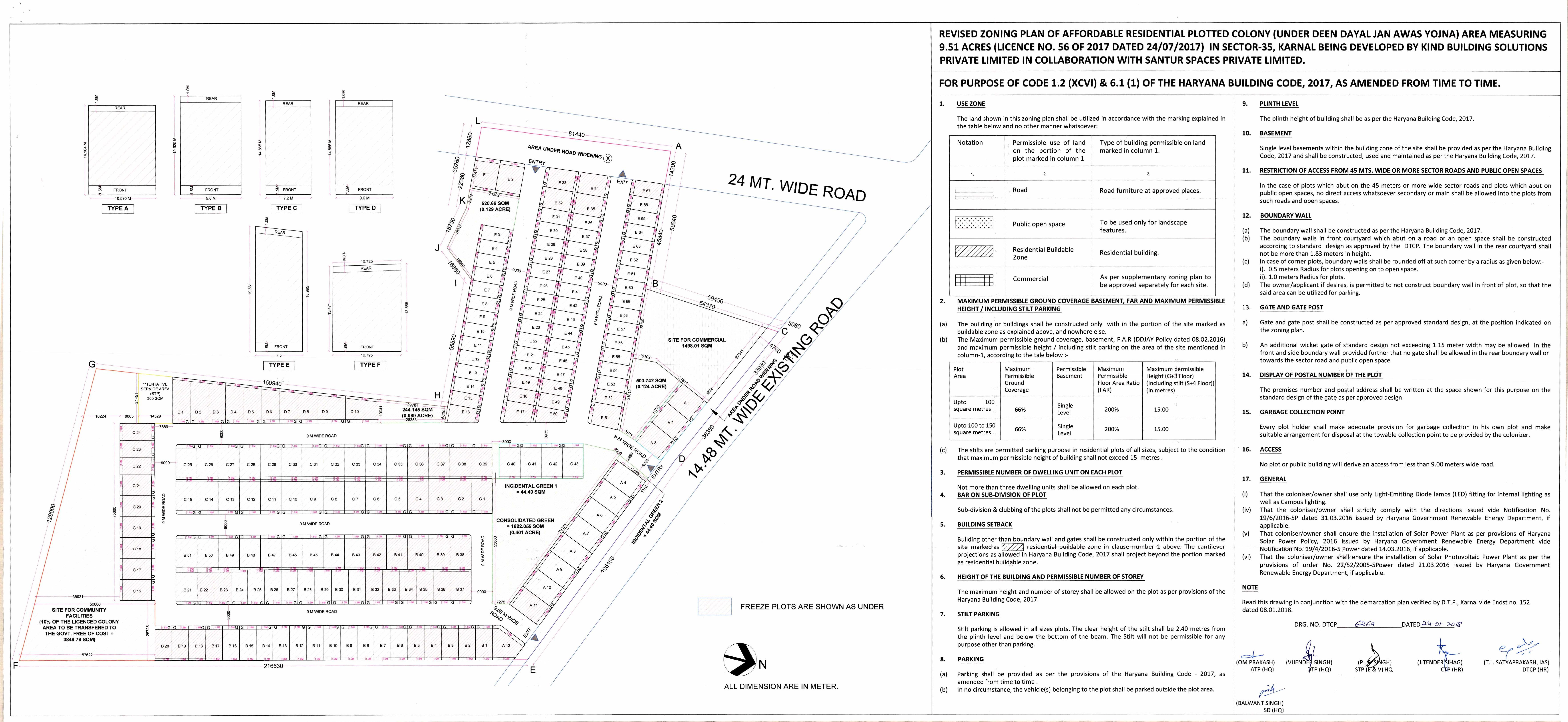
1PLOTS TO BE SOLD 12688.036
2LAND AREA TO BE USED FOR CONSTRUCTION OF APARTMENTS 8017.026
3CONSTRUCTION OF ROADS 4817.559
4PAVEMENTS 2409.239
5PARKS AND PLAYGROUNDS 2957.616
6GREEN BELTS 0
7VEHICLE PARKINGS 0
8ELECTRICITY SUB-STATION 0
9CLUB HOUSE 0
10SEWAGE AND SOLID WASTE TREATMENT FACILITY 300
11AREA TO BE LEFT FOR TRANSFERRING TO THE GOVERNMENT FOR COMMUNITY SERVICES 3848.554
12ANY OTHER 0
13AREA 1949.5
14COMMERCIAL 1498.01
Total38485.54




FacilityExternal/ connecting service to be provided by (Name the agency)Whether Approval taken from the agency concerned. Yes/No (Annex details in folder C)
ROADSHUDAYes
WATER SUPPLYHUDAYes
ELECTRICITYHUDAYes
SEWAGE DISPOSALHUDAYes
STORM WATER DRAINAGEHUDAYes




Sr. No.Name of the facilityEstimated cost (In Lakhs)(Within the project area only)Remarks: Yet to be prepared / Submitted to HUDA, Town & Country Planning Department/ as per project report etc. (Annex relevant documents showing costing details etc. in folder C)
1INTERNAL ROADS AND PAVEMENTS160.16SUBMITTED TO TOWN & COUNTRY PLANNING
2WATER SUPPLY SYSTEM149.67SUBMITTED TO TOWN & COUNTRY PLANNING
3STORM WATER DRAINAGE62.16SUBMITTED TO TOWN & COUNTRY PLANNING
4ELECTRICITY SUPPLY SYSTEM36.49SUBMITTED TO TOWN & COUNTRY PLANNING
5SEWAGE TREATMENT & GARBAGE DISPOSAL111.25SUBMITTED TO TOWN & COUNTRY PLANNING
6STREET LIGHTING0YET TO BE PREPARED
7SECURITY AND FIRE FIGHTING0YET TO BE PREPARED
8PLAYGROUNDS AND PARKS0YET TO BE PREPARED
9CLUB HOUSE/COMMUNITY CENTRE0YET TO BE PREPARED
10SHOPPING AREA0YET TO BE PREPARED
11RENEWABLE ENERGY SYSTEM0YET TO BE PREPARED
12SCHOOL0YET TO BE PREPARED
13HOSPITAL/DISPENSARY0YET TO BE PREPARED
14ANY OTHER0YET TO BE PREPARED


NA (date)
NA (date)


Sr. No.Plot/ apartment type Size of the plot/carpet area of the apartments Total number of plots/apartments in the project Total size of the plots/carpet area of the apartments Plots/apartments booked/ sold upto the date of application Yet to be sold/ booked No. of towers to be/ being constructed for booked apartments
1 APARTMENT/SHOPS/OTHER BUILDINGS Type 3 BHK 830 90 74700 0 0 0
2 APARTMENT/SHOPS/OTHER BUILDINGS Type 2 BHK 630 51 32130 0 0 0
3 APARTMENT/SHOPS/OTHER BUILDINGS Type VILLA 1109 26 28834 0 0 0
Total167135664000






TypeNumber of apartments booked/ sold Write or Annex the stage of construction of the booked/ sold apartments in folder C
3 BHK280
2 BHK100
VILLA60
2 BHK00
VILLA00
2 BHK00
VILLA90
2 BHK130
VILLA90
2 BHK00
VILLA00
2 BHK00
VILLA90


17-05-2018
29-02-2020
29-02-2020
01-09-2019
30
14-02-2020
YES


PlotsBooked/soldStage of handing over the possession (Write or Annex details)
PLOT00
01-09-2019
0
14-02-2020


0
0
0
0
0





Expenditure incurred till the date of application (In Lakhs)

ParticularsExpenditure
Apartments381
Shops0
Plots0

Expenditure to be made in each quarter (In Lakhs)

ParticularsYear-2018
Jan-MarApr-JuneJuly-SepOct-Dec
Apartments175315520
Shops000
Plots000

ParticularsYear-2019
Jan-MarApr-JuneJuly-SepOct-Dec
Apartments4651052200
Shops0000
Plots0000




Expenditure incurred till the date of application (In Lakhs)

ParticularsExpenditure
Roads & Pavements0
Water Supply System0
Sewerage treatment & garbage disposal0
Electricity Supply System0
Storm Water Drainage0
Parks and Playgrounds0
Clubhouse/community centres0
Shopping area0
Other0

Expenditure to be made in each quarter (In Lakhs)

ParticularsYear-2018
Jan-MarApr-JuneJuly-SepOct-Dec
Roads & Pavements16.0216.0264.06
Water Supply System29.9344.9059.87
Sewerage treatment & garbage disposal22.2533.3844.50
Electricity Supply System1.821.8210.95
Storm Water Drainage12.4318.6524.86
Parks and Playgrounds000
Clubhouse/community centres000
Shopping area000
Other000

ParticularsYear-2019
Jan-MarApr-JuneJuly-SepOct-Dec
Roads & Pavements64.0616.0216.0264.06
Water Supply System14.9729.9344.9059.87
Sewerage treatment & garbage disposal11.1322.2533.3844.50
Electricity Supply System21.891.821.8210.95
Storm Water Drainage6.2212.4318.6524.86
Parks and Playgrounds0000
Clubhouse/community centres0000
Shopping area0000
Other0000

ParticularsYear-2020
Jan-MarApr-JuneJuly-SepOct-Dec
Roads & Pavements000
Water Supply System000
Sewerage treatment & garbage disposal000
Electricity Supply System000
Storm Water Drainage000
Parks and Playgrounds000
Clubhouse/community centres000
Shopping area000
Other000












Particulars Remarks, if any
i. No. of Flats/Apartments constructed156Under Construction
ii. No. of Flats/ Apartments booked63
iii. Total amount sale value of booked Flats, on the date of application/end of last quarter1482 Lakhs
iv. Total amount received from the allottees (booked Flats), on the date of application/end of last quarter202.1 Lakhs
v. Balance amount to be received from the allottees (booked Flats, after completion), on the date of application/end of last quarter1282 Lakhs
vi. Balance amount due and recoverable from the allottees (booked Flats) as on the date of application /end of last quarter593.6 Lakhs
vii. Amount invested in the project upto the date of application0 Lakhs
Land cost (If any)202.59 Lakhs
Apartments381 Lakhs
Infrastructure0 Lakhs
EDC/ Taxes Etc.198 Lakhs
viii. Balance cost to be incurred for completion of the project and delivery of possession2024 Lakhs
(a) In respect of existing allottees678 Lakhs
(b) In respect of rest of the project346 Lakhs
ix. The amount of loan raised from the banks/ financial institutions/ private persons against the project
Annex detail of the securities furnished to the banks/ financial institutions against the aforesaid loans in folder C
0 Lakhs
x. Total liabilities against the project up-to-date. (Annex details in folder C) 0 Lakhs



Particulars Estimated expenditure planned to be incurred as per service plan estimates or the project report. (In Lakhs)Actual expenditure incurred upto the date of application. (In Lakhs)
I. INTERNAL ROADS AND PAVEMENTS160.160
II. WATER SUPPLY SYSTEM149.670
III. STORM WATER DRAINAGE62.160
IV. ELECTRICITY SUPPLY SYSTEM36.490
V. SEWAGE TREATMENT & GARBAGE DISPOSAL111.250
VI. CLUB HOUSE/COMMUNITY CENTRE00
VII. SCHOOL00
VIII. ANY OTHER00
IX. SOLID WASTE COLLECTION & MGMT SYSTEM00
X. CLUBHOUSE00
XI. NEIGHBOURHOOD SHOPPING00
XII. GREEN AREAS,PARKS,PLAYGROUNDS ETC.00
XIII. COVERED PARKING00
XIV. OPEN PARKING00
XV. GARAGES00
XVI. SECURITY SYSTEM00
XVII. OTHER FACILITIES AS PER PROJECT REPORT00









Yes
No
KOTAK BANK
5811447235
KKBK0000195
110485025
000195
SHARAD JAIN











Yes
No
Yes
Yes
Yes
Yes
No
No
No
No


No
No
Yes
Yes
Yes
Yes
No
No
Statutory Approvals Statutory Approvals StatusDate
I. LAYOUT PLANALREADY BEEN OBTAINED17-10-2017
II. ZONNING PLANALREADY BEEN OBTAINED24-01-2018








Yes


Yes















SPECIFICATION OF CONSTRUCTION
Specification of apartments and other buildings including the following:
1FLOORING DETAILS OF VARIOUS PARTS OF HOUSEVITRIFIED TILES
2WALL FINISHING DETAILSOIL BOUND DISTEMPER
3KITCHEN DETAILSVITRIFIED TILES , OIL BOUND DISTEMPER, AND ISI STANDARD CP FITTINGS WITH INDIAN GRANITE WITH STAINLESS STEEL SINK
4BATHROOM FITTINGSISI STANDARD CP FITTINGS
5WOOD WORK ETCNOT PROVIDED
6DOORS AND WINDOS FRAMESFLUSH DOORS AND ALUMINIUM POWDER COATED DOOR
7GLASS WORKNA
8ELECTRIC FITTINGSISI STANDARD FITTINGS
9CONDUCTING AND WIRING DETAILSISI STANDARD FITTINGS
10CUPBOARD DETAILSNA
11WATER STORAGEISI STANDARD
12LIFT DETAILSNOT PROVIDED
13EXTERNAL GLAZINGSNA
13.1WINDOWS/GLAZINGSALUMINIUM FRAME DOORS
14DOORSFLUSH DOORS
14.1MAIN DOORSFLUSH DOOR
14.2INTERNAL DOORSFLUSH DOOR
15AIR CONDITIONINGNA
16ELECTRICAL FITTINGSISI STANDARD
17CNG PIPE LINENOT PROVIDED
18PROVISION OF WIFI AND BROADBAND FACILITYYES
19EXTERNAL FINISHING/COLOUR SCHEMEWEATHER PROOF TEXTURE PAINT
20INTERNAL FINISHINGOIL BOUND DISTEMPER
SPECIFICATION UNIT WISE
1 . LIVING/DINING/FOYER/FAMILY LOUNGE
1 . 1 FLOORVITRIFIED TILES
1 . 2 WALLSOIL BOUND DISTEMPER
1 . 3 CEILINGOIL BOUND DISTEMPER
2 . MASTER BEDROOM/DRESSROOM
2 . 1 FLOORVITRIFIED TILES
2 . 2 WALLSOIL BOUND DISTEMPER
2 . 3 CEILINGOIL BOUND DISTEMPER
2 . 4 MODULAR WARDROBESNA
3 . MASTER TOILET
3 . 1 FLOORANTI SKID TILES
3 . 2 WALLSCERAMIC TILES TILL 4FT/7FT & OIL BOUND DISTEMOPER
3 . 3 CEILINGGRID FALSE CEILING
3 . 4 COUNTERSGRANITE
3 . 5 SANITARY WARE/CP FITTINGSISI STANDARD
3 . 6 FITTING/FIXTURESISI STANDARD CP FITTING, WC & WASHBASIN
4 . BED ROOMS
4 . 1 FLOORVITRIFIED TILES
4 . 2 WALLSOIL BOUND DISTEMPER
4 . 3 CEILINGOIL BOUND DISTEMPER
4 . 4 WARDROBESNOT PROVIDED
5 . TOILET
5 . 1 FLOORANTI SKID CERAMIC TILES
5 . 2 WALLSOIL BOUND DISTEMPER
5 . 3 CEILINGOIL BOUND DISTEMPER
5 . 4 COUNTERSNOT PROVIED
5 . 5 SANITARY WARE/CP FITTINGSISI STANDARD CP FITTING, WC & WASHBASIN
5 . 6 FIXTURESISI STANDARD CP FITTING
6 . KITCHEN
6 . 1 FLOORVITRIFIED/CERAMIC TILES
6 . 2 WALLSOIL BOUND DISTEMPER
6 . 3 CEILINGOIL BOUND DISTEMPER
6 . 4 COUNTERSINDIAN GRANITE
6 . 5 FIXTURESISI STANDARD
6 . 6 KITCHEN APPLIANCESNOT PROVIDED
7 . UTILITY ROOMS/UTILITY BALCONY/TOILET
7 . 1 FLOORNA
7 . 2 WALLS & CEILINGOIL BOUND DISTEMPER
7 . 3 TOILETNA
7 . 4 BALCONYNA
8 . SIT-OUTS
8 . 1 FLOORVITRIFIED TILES
8 . 2 WALLS & CEILINGOIL BOUND DISTEMPER
8 . 3 RAILINGSMA RAILING WITH ENAMAL PAINT FINISH
8 . 4 FIXTURESISI STANDARD












Sr. No.Document DescriptionDate of Document UploadView Document
1 SERVICE PLANS SHOWING THE SERVICES ON THE LAYOUT PLAN 19-04-2019 View Document
2 IN CASE OF PLOTTED COLONY, THE LATEST LAYOUT PLAN 19-04-2019 View Document
3 DOCUMENTS RELATING TO THE ENTRY OF LICENSE AND COLLABORATION AGREEMENT IN THE REVENUE RECORD 19-04-2019 View Document
4 ZONING PLAN 19-04-2019 View Document
5 A COMPLETE SET OF THE LAST APPROVED BUILDING PLANS 19-04-2019 View Document
6 CASH FLOW STATEMENT OF THE PROPOSED PROJECT 19-04-2019 View Document
7 DRAFT ALLOTMENT 19-04-2019 View Document
8 ROAD PLAN 19-04-2019 View Document
9 CERTIFICATE FROM A CHARTERED ACCOUNTANT CERTIFYING THAT THE INFORMSTION PROVIDED BY THE APPLICANT IN FORM REP-1-C-X IS CORRECT AS PER THE BOOKS OF ACCOUNTS/ BALANCE SHEET OF THE APPLICANT 14-05-2019 View Document
10 NON DEFAULT CERTIFICATE FROM A CHARTERED ACCOUNTANT 14-05-2019 View Document
11 DECLARATION SUPPORTED BY AFFIDAVIT DULY SIGNED BY THE PROMOTER TO BE ENCLOSED. 14-05-2019 View Document
12 IN CASE OF GROUP HOUSING/ COMMERCIAL SITES, A COPY OF THE APPROVED SITE PLAN 14-05-2019 View Document
13 COPY OF LICENSE ALONG WITH SCHEDULE OF LAND 14-05-2019 View Document












Sr. No.Document DescriptionDate of Document UploadView Document
1 Second extension of Registration 01-10-2021 View Document
2 Extension of Registration. 11-08-2020 View Document
3 Completion Certificate 26-04-2023 View Document