HRERA PanchkulaTemp Project Id : RERA-PKL-PROJ-552-2019
Submission Date : 17-07-2019 07:27:38 AM
Applicant Type : Company
Project Type: ONGOING




K N COLONISERS PVT LTD
C-112, 3RD FLOOR, PREET VIHAR, NEW DELHI 110092
9215900646 (Number Shared by Promoter in Public)
vipul827@gmail.com
http://anandvatika.co.in
XXXX423G
U70109DL2011PTC213010
 
 


 
 


 
 







ANAND VATIKA
REVENUE ESTATE VILLAGE KASBA KARNAL, SECTOR-36
KARNAL
KARNAL
9991477477
9991740740 (Number Shared by Promoter in Public)
anandvatika47@gmail.com
VIKAS MEHLA
9467272946 (Number Shared by Promoter in Public)
vikash.mehla86@gmail.com








As per sub-rule(2) of rule 3 of the Haryana Real Estate (Regulation and Development) Rules,2017, the fee for registration of the project as has been calculated as follows:
-----------------------------------------------------------------------------------------------------------------------
-----------------------------------------------------------------------------------------------------------------------
-----------------------------------------------------------------------------------------------------------------------
-----------------------------------------------------------------------------------------------------------------------
2. The aforesaid fees is hereby deposited vide following Drafts/ Banker’s Cheques:-

Sr No.Draft/Cheque No.Draft DateAmountPayee BankPayable To
14398113-08-2017138500AXIS BANK LIMITEDHRERA Panchkula







6.83333 (Acre)
0
0
6.83333 (Acre)
38 of 2017
Yes







4786 Lakhs
1230 Lakhs
2500 Lakhs
606 Lakhs
450 Lakhs




Sr. No.Land area under usageArea of land (Square Meters)
1PLOTS TO BE SOLD 13668.89
2LAND AREA TO BE USED FOR CONSTRUCTION OF APARTMENTS 0
3CONSTRUCTION OF ROADS 4680.682
4PAVEMENTS 3000
5PARKS AND PLAYGROUNDS 2176.758
6GREEN BELTS 0
7VEHICLE PARKINGS 0
8ELECTRICITY SUB-STATION 0
9CLUB HOUSE 0
10SEWAGE AND SOLID WASTE TREATMENT FACILITY 0
11AREA TO BE LEFT FOR TRANSFERRING TO THE GOVERNMENT FOR COMMUNITY SERVICES 2760.93
12ANY OTHER 0
13COMMERCIAL 1092.85
14UD 273.35
Total27653.46




FacilityExternal/ connecting service to be provided by (Name the agency)Whether Approval taken from the agency concerned. Yes/No (Annex details in folder C)
ROADSHSVPNo
WATER SUPPLYHSVPNo
ELECTRICITYUHBVNNo
SEWAGE DISPOSALHSVPNo
STORM WATER DRAINAGEHSVPNo




Sr. No.Name of the facilityEstimated cost (In Lakhs)(Within the project area only)Remarks: Yet to be prepared / Submitted to HUDA, Town & Country Planning Department/ as per project report etc. (Annex relevant documents showing costing details etc. in folder C)
1INTERNAL ROADS AND PAVEMENTS105.64SUBMITTED TO TOWN & COUNTRY PLANNING
2WATER SUPPLY SYSTEM127.67SUBMITTED TO TOWN & COUNTRY PLANNING
3STORM WATER DRAINAGE68.91SUBMITTED TO TOWN & COUNTRY PLANNING
4ELECTRICITY SUPPLY SYSTEM19.69AS PER PROJECT REPORT
5SEWAGE TREATMENT & GARBAGE DISPOSAL81.32SUBMITTED TO TOWN & COUNTRY PLANNING
6STREET LIGHTING26.20SUBMITTED TO TOWN & COUNTRY PLANNING
7SECURITY AND FIRE FIGHTING0YET TO BE PREPARED
8PLAYGROUNDS AND PARKS18.12SUBMITTED TO TOWN & COUNTRY PLANNING
9CLUB HOUSE/COMMUNITY CENTRE0YET TO BE PREPARED
10SHOPPING AREA0YET TO BE PREPARED
11RENEWABLE ENERGY SYSTEM0YET TO BE PREPARED
12SCHOOL0YET TO BE PREPARED
13HOSPITAL/DISPENSARY0YET TO BE PREPARED
14ANY OTHER0YET TO BE PREPARED


NA (date)
NA (date)


Sr. No.Plot/ apartment type Size of the plot/carpet area of the apartments Total number of plots/apartments in the project Total size of the plots/carpet area of the apartments Plots/apartments booked/ sold upto the date of application Yet to be sold/ booked No. of towers to be/ being constructed for booked apartments
1 PLOT Type B (3 STORY APARTMENTS (PLOT NO 41-62) 97.275 22 2140.05 4 18 0
2 PLOT Type B (3 STORY APARTMENTS (PLOT NO 63-85) 110 23 2530 23 0 0
3 PLOT Type B (VILLAS PLOT NO 86-112,121-129) 91.50 48 4392 7 41 0
4 PLOT Type A (VILLAS PLOT NO 113-120) 150 23 3450 6 17 0
5 PLOT Type C 85 3 255 0 3 0
6 PLOT Type B (PLOT NO 121-129) 115 8 920 0 8 0
Total12713687.0540870






TypeNumber of apartments booked/ sold Write or Annex the stage of construction of the booked/ sold apartments in folder C
00


N/A
N/A
N/A
01-05-2018
10
01-05-2020


PlotsBooked/soldStage of handing over the possession (Write or Annex details)
PLOT00
01-01-2018
40
01-05-2020


0
0
0
0
0





Expenditure incurred till the date of application (In Lakhs)

ParticularsExpenditure
Apartments0
Shops0
Plots0

Expenditure to be made in each quarter (In Lakhs)

ParticularsExpenditure to be made in each quarter ()
Apr-JuneJuly-SepOct-DecJan-Mar




Expenditure incurred till the date of application (In Lakhs)

ParticularsExpenditure
Roads & Pavements18
Water Supply System5
Sewerage treatment & garbage disposal10
Electricity Supply System0
Storm Water Drainage12
Parks and Playgrounds4
Clubhouse/community centres0
Shopping area0
Other11

Expenditure to be made in each quarter (In Lakhs)

ParticularsYear-2018
Jan-MarApr-JuneJuly-SepOct-Dec
Roads & Pavements2466
Water Supply System1121
Sewerage treatment & garbage disposal1243
Electricity Supply System0000
Storm Water Drainage1245
Parks and Playgrounds1111
Clubhouse/community centres0000
Shopping area0000
Other3233












Particulars Remarks, if any
i. No. of Flats/Apartments constructed0
ii. No. of Flats/ Apartments booked0
iii. Total amount sale value of booked Flats, on the date of application/end of last quarter0 Lakhs
iv. Total amount received from the allottees (booked Flats), on the date of application/end of last quarter386 Lakhs
v. Balance amount to be received from the allottees (booked Flats, after completion), on the date of application/end of last quarter0 Lakhs
vi. Balance amount due and recoverable from the allottees (booked Flats) as on the date of application /end of last quarter0 Lakhs
vii. Amount invested in the project upto the date of application1991 Lakhs
Land cost (If any)1230 Lakhs
Apartments100 Lakhs
Infrastructure60 Lakhs
EDC/ Taxes Etc.561 Lakhs
viii. Balance cost to be incurred for completion of the project and delivery of possession0 Lakhs
(a) In respect of existing allottees0 Lakhs
(b) In respect of rest of the project0 Lakhs
ix. The amount of loan raised from the banks/ financial institutions/ private persons against the project
Annex detail of the securities furnished to the banks/ financial institutions against the aforesaid loans in folder C
0 Lakhs
x. Total liabilities against the project up-to-date. (Annex details in folder C) 0 Lakhs



Particulars Estimated expenditure planned to be incurred as per service plan estimates or the project report. (In Lakhs)Actual expenditure incurred upto the date of application. (In Lakhs)
I. INTERNAL ROADS AND PAVEMENTS105.6418
II. WATER SUPPLY SYSTEM127.675
III. STORM WATER DRAINAGE68.9112
IV. ELECTRICITY SUPPLY SYSTEM19.690
V. SEWAGE TREATMENT & GARBAGE DISPOSAL81.3210
VI. CLUB HOUSE/COMMUNITY CENTRE00
VII. SCHOOL00
VIII. ANY OTHER26.2011
IX. SOLID WASTE COLLECTION & MGMT SYSTEM00
X. CLUBHOUSE00
XI. NEIGHBOURHOOD SHOPPING00
XII. GREEN AREAS,PARKS,PLAYGROUNDS ETC.18.124
XIII. COVERED PARKING00
XIV. OPEN PARKING00
XV. GARAGES00
XVI. SECURITY SYSTEM00
XVII. OTHER FACILITIES AS PER PROJECT REPORT00









Yes
Yes
KOTAK MAHINDRA BANK, PREET VIHAR, NEW DELHI 92
5211917338
KKBK0004622
110485119
004622
Shashi Chawla, C-112 3rd Floor, Preet Vihar, New Delhi











Yes
Yes
Yes
No
Yes
No
No
No
No
No


Yes
Yes
Yes
Yes
Yes
No
No
No
Statutory Approvals Statutory Approvals StatusDate
I. LICENSE NO 38 OF 2017ALREADY BEEN OBTAINED29-06-2017
II. LAYOUT PLANALREADY BEEN OBTAINED29-06-2017
III. DEMARCATION PLANALREADY BEEN OBTAINED02-02-2018
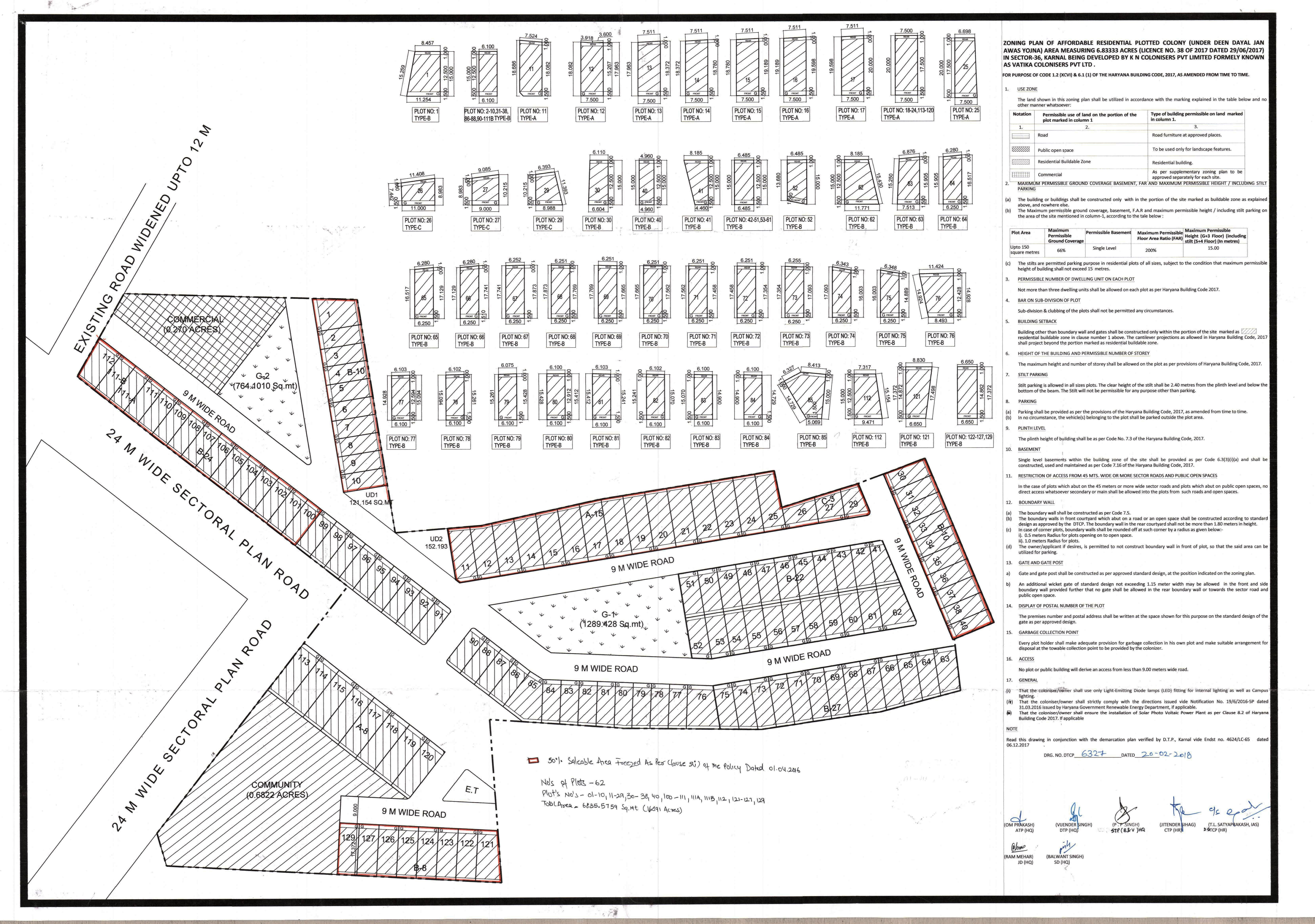
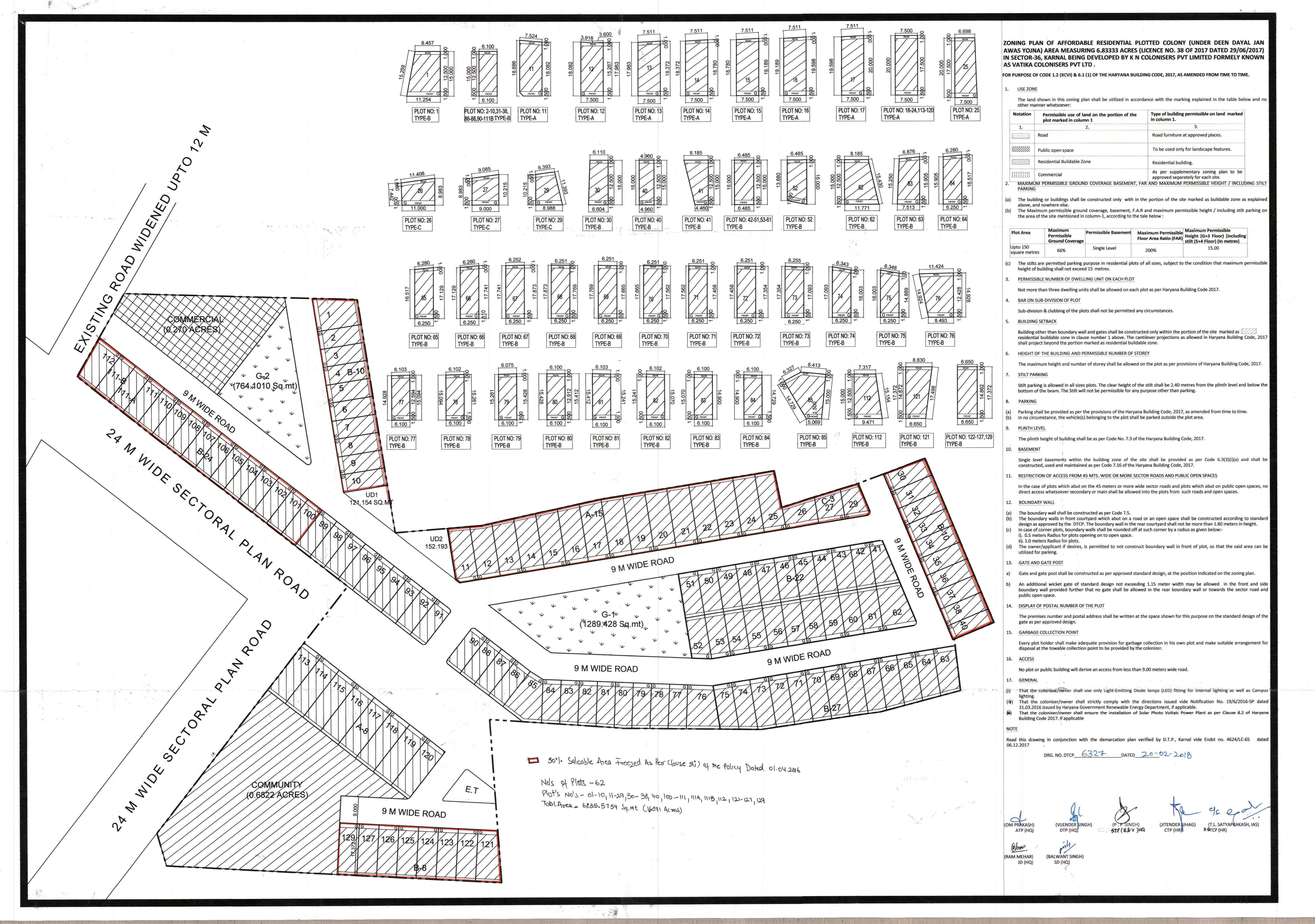
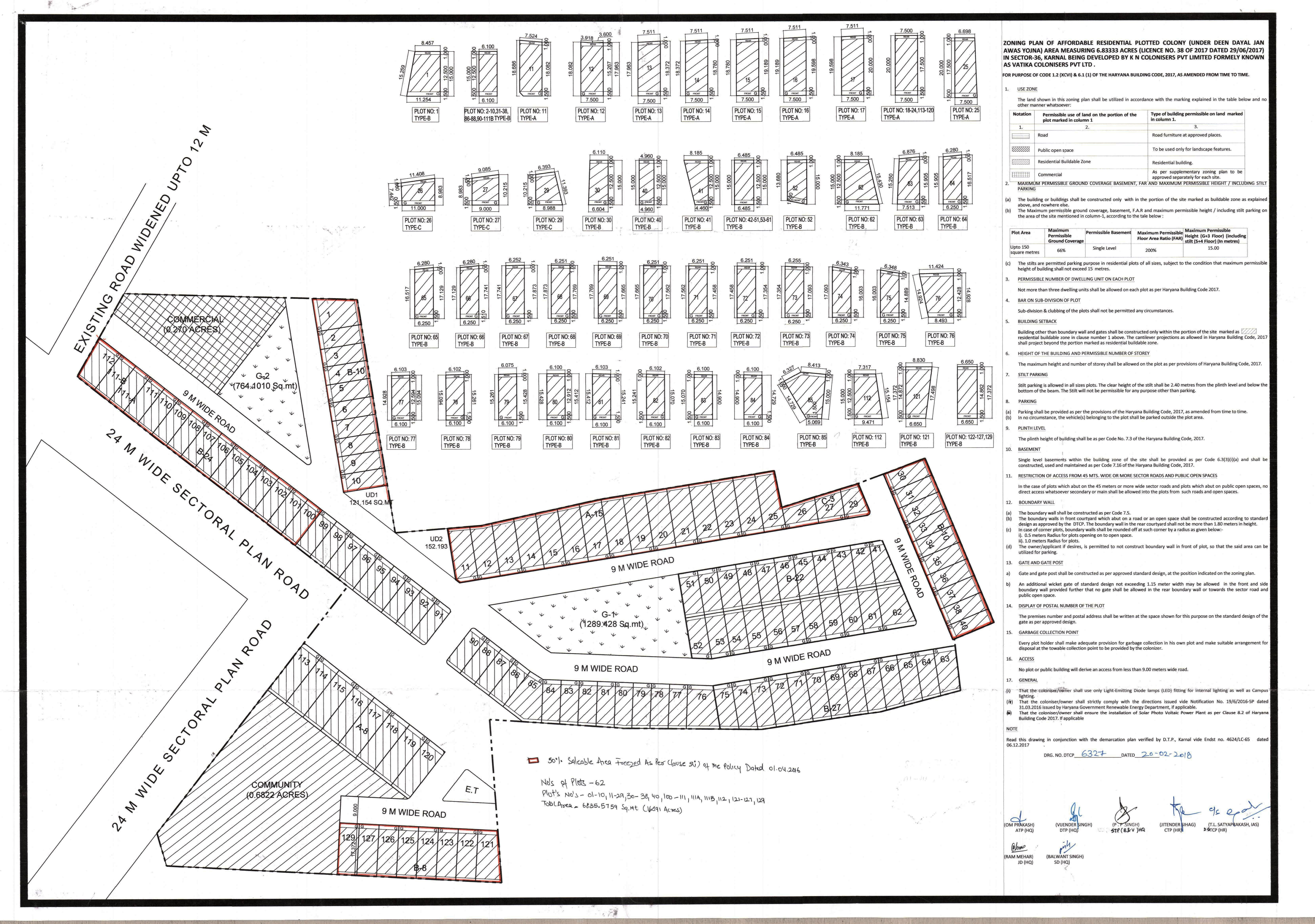
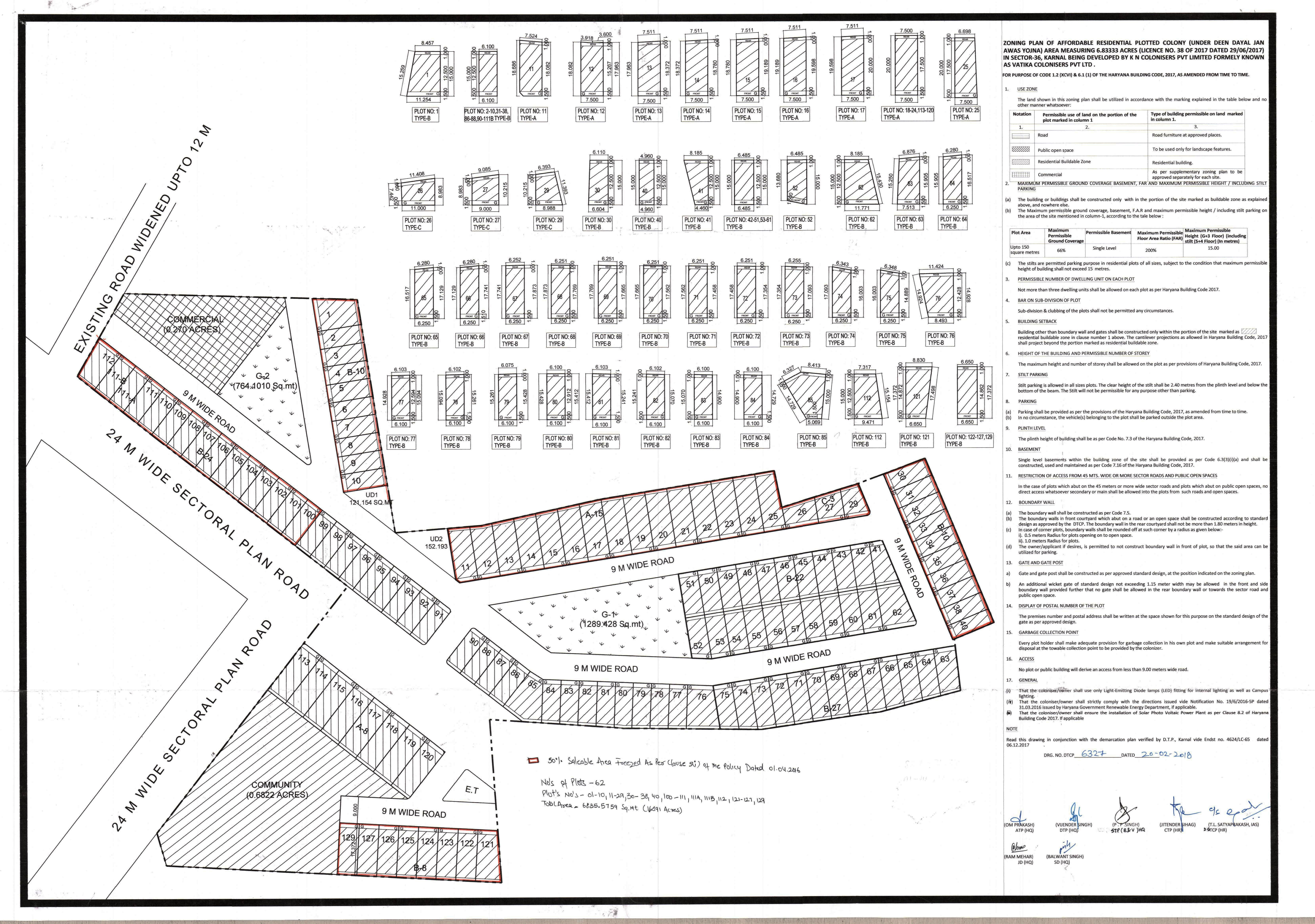
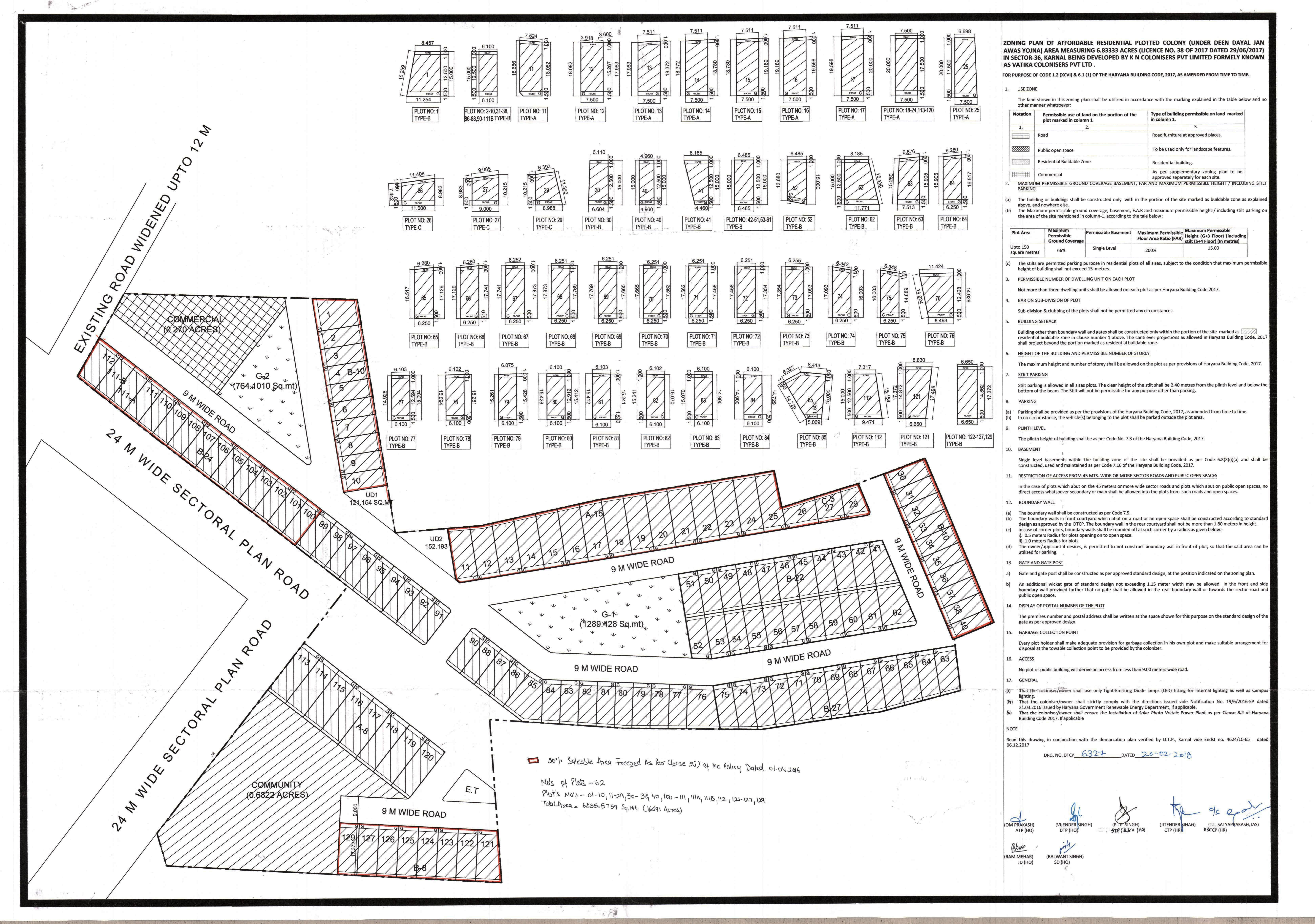
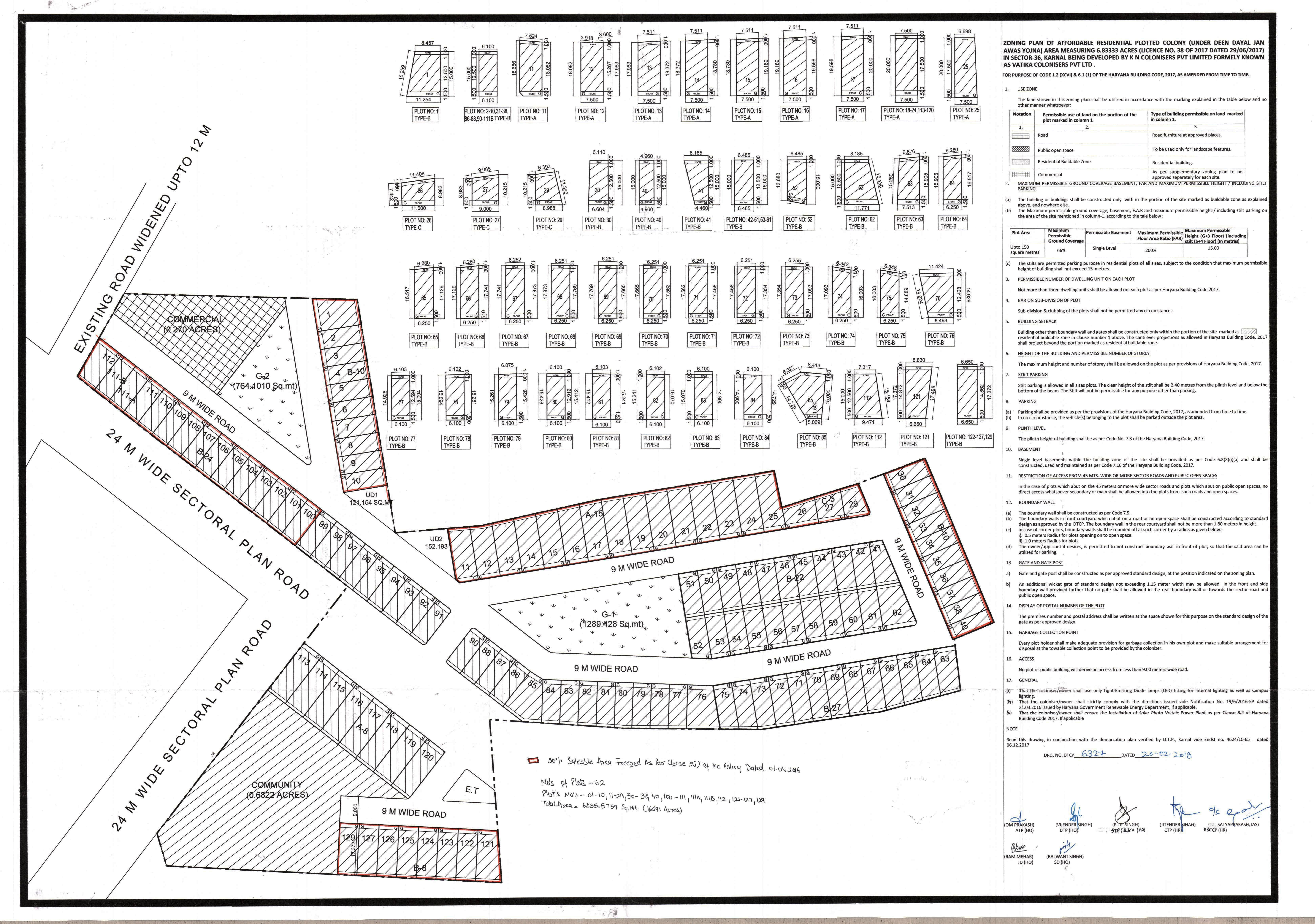
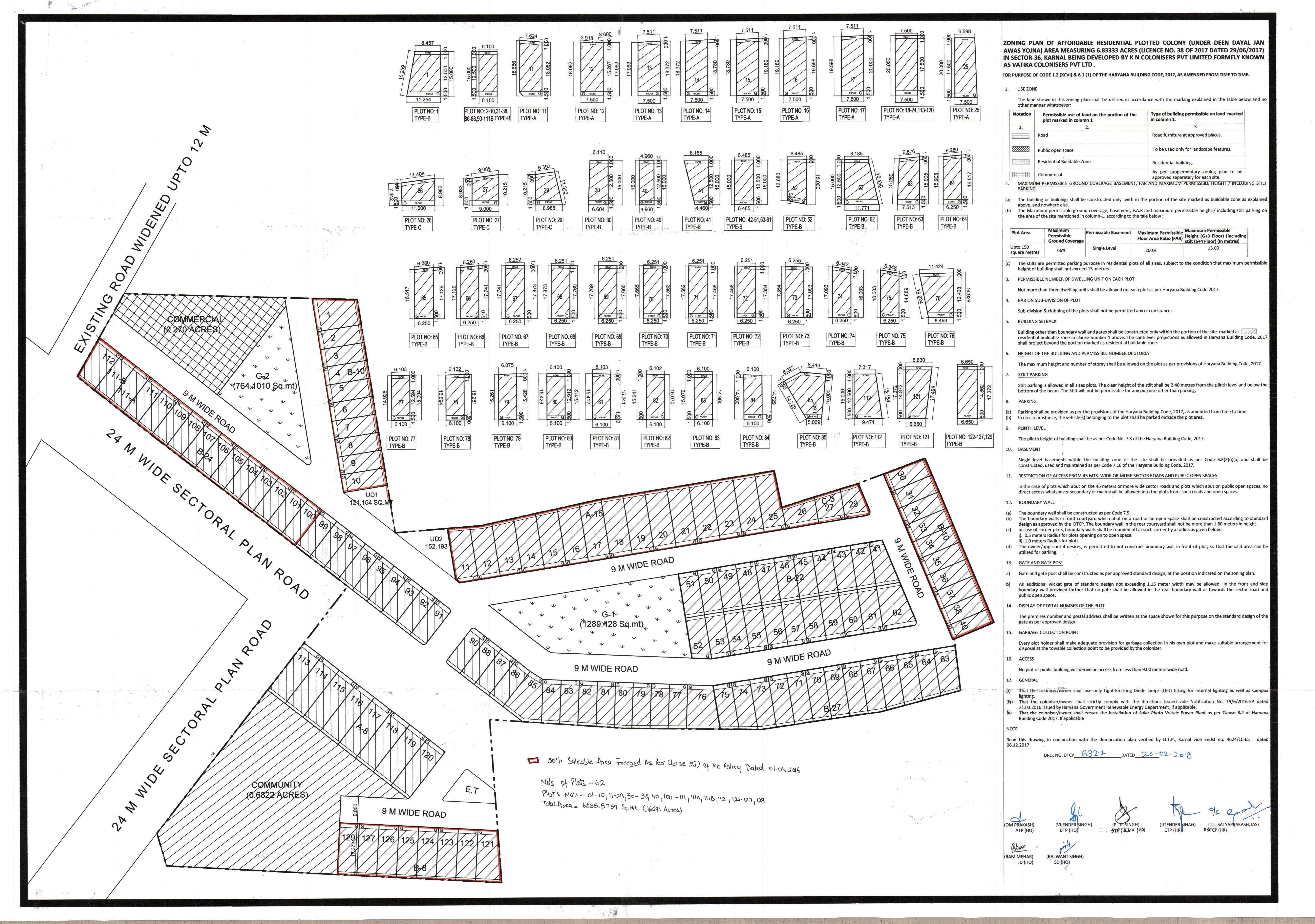
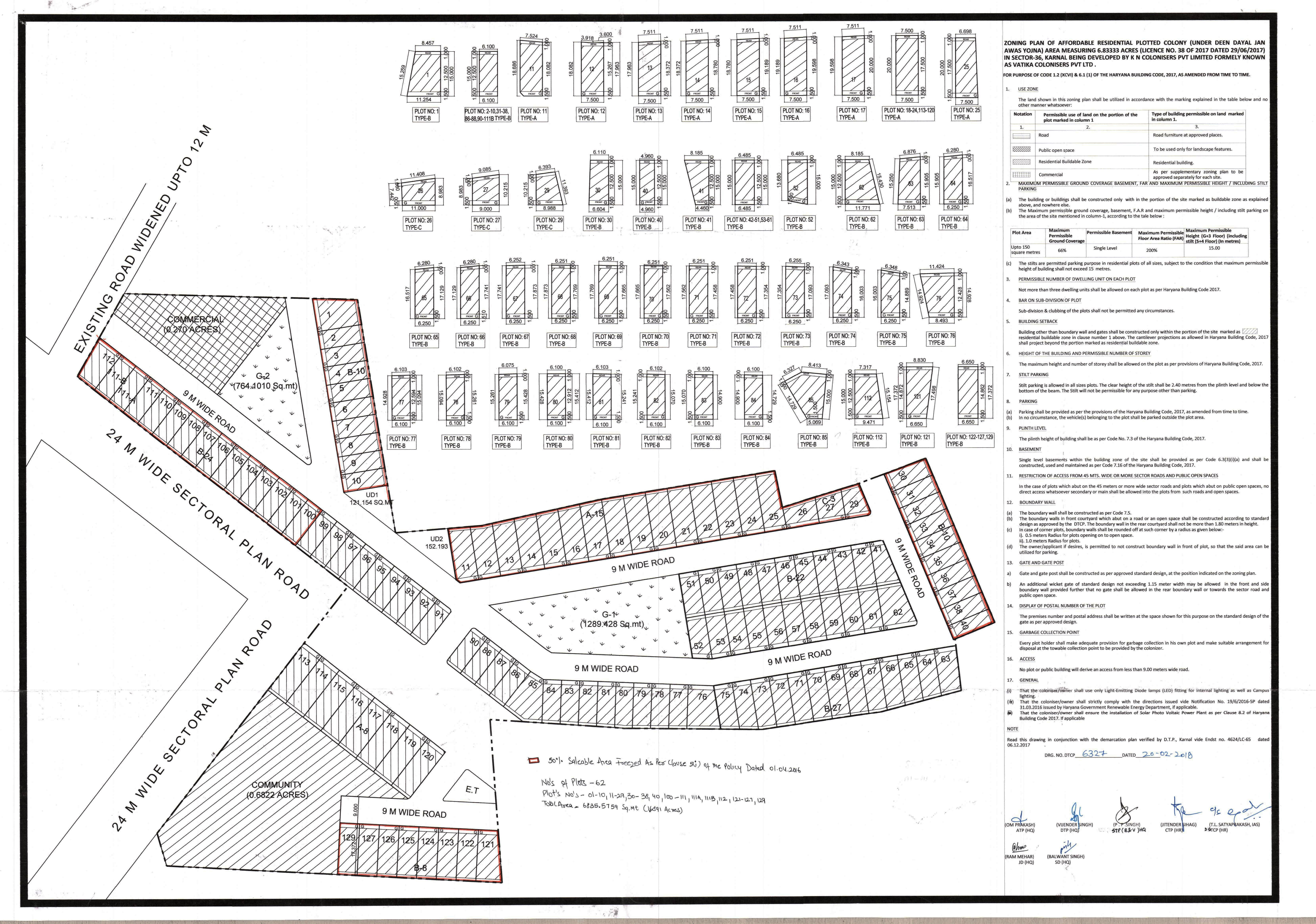
IV. ZONING PLANALREADY BEEN OBTAINED20-02-2018
V. SERVICE PLAN ESTIMATESAPPLIED FOR BUT YET TO RECEIVENA








Yes


Yes















SPECIFICATION OF CONSTRUCTION
Specification of apartments and other buildings including the following:
1FLOORING DETAILS OF VARIOUS PARTS OF HOUSENA
2WALL FINISHING DETAILSNA
3KITCHEN DETAILSNA
4BATHROOM FITTINGSNA
5WOOD WORK ETCNA
6DOORS AND WINDOS FRAMESNA
7GLASS WORKNA
8ELECTRIC FITTINGSNA
9CONDUCTING AND WIRING DETAILSNA
10CUPBOARD DETAILSNA
11WATER STORAGENA
12LIFT DETAILSNA
13EXTERNAL GLAZINGSNA
13.1WINDOWS/GLAZINGSNA
14DOORSNA
14.1MAIN DOORSNA
14.2INTERNAL DOORSNA
15AIR CONDITIONINGNA
16ELECTRICAL FITTINGSNA
17CNG PIPE LINENA
18PROVISION OF WIFI AND BROADBAND FACILITYNA
19EXTERNAL FINISHING/COLOUR SCHEMENA
20INTERNAL FINISHINGNA
SPECIFICATION UNIT WISE
1 . LIVING/DINING/FOYER/FAMILY LOUNGE
1 . 1 FLOORNA
1 . 2 WALLSNA
1 . 3 CEILINGNA
2 . MASTER BEDROOM/DRESSROOM
2 . 1 FLOORNA
2 . 2 WALLSNA
2 . 3 CEILINGNA
2 . 4 MODULAR WARDROBESNA
3 . MASTER TOILET
3 . 1 FLOORNA
3 . 2 WALLSNA
3 . 3 CEILINGNA
3 . 4 COUNTERSNA
3 . 5 SANITARY WARE/CP FITTINGSNA
3 . 6 FITTING/FIXTURESNA
4 . BED ROOMS
4 . 1 FLOORNA
4 . 2 WALLSNA
4 . 3 CEILINGNA
4 . 4 WARDROBESNA
5 . TOILET
5 . 1 FLOORNA
5 . 2 WALLSNA
5 . 3 CEILINGNA
5 . 4 COUNTERSNA
5 . 5 SANITARY WARE/CP FITTINGSNA
5 . 6 FIXTURESNA
6 . KITCHEN
6 . 1 FLOORNA
6 . 2 WALLSNA
6 . 3 CEILINGNA
6 . 4 COUNTERSNA
6 . 5 FIXTURESNA
6 . 6 KITCHEN APPLIANCESNA
7 . UTILITY ROOMS/UTILITY BALCONY/TOILET
7 . 1 FLOORNA
7 . 2 WALLS & CEILINGNA
7 . 3 TOILETNA
7 . 4 BALCONYNA
8 . SIT-OUTS
8 . 1 FLOORNA
8 . 2 WALLS & CEILINGNA
8 . 3 RAILINGSNA
8 . 4 FIXTURESNA












Sr. No.Document DescriptionDate of Document UploadView Document
1 COPY OF LICENSE ALONG WITH SCHEDULE OF LAND 14-05-2019 View Document
2 IN CASE OF PLOTTED COLONY, THE LATEST LAYOUT PLAN 14-05-2019 View Document
3 DEMARCATION PLAN 14-05-2019 View Document
4 ZONING PLAN 14-05-2019 View Document
5 DOCUMENTS RELATING TO THE ENTRY OF LICENSE AND COLLABORATION AGREEMENT IN THE REVENUE RECORD 14-05-2019 View Document
6 IN CASE OF GROUP HOUSING/ COMMERCIAL SITES, A COPY OF THE APPROVED SITE PLAN 14-05-2019 View Document
7 A COMPLETE SET OF THE LAST APPROVED BUILDING PLANS 14-05-2019 View Document
8 SERVICE PLANS SHOWING THE SERVICES ON THE LAYOUT PLAN 05-07-2019 View Document
9 CASH FLOW STATEMENT OF THE PROPOSED PROJECT 03-07-2019 View Document
10 CERTIFICATE FROM A CHARTERED ACCOUNTANT CERTIFYING THAT THE INFORMSTION PROVIDED BY THE APPLICANT IN FORM REP-1-C-X IS CORRECT AS PER THE BOOKS OF ACCOUNTS/ BALANCE SHEET OF THE APPLICANT 05-07-2019 View Document
11 DECLARATION SUPPORTED BY AFFIDAVIT DULY SIGNED BY THE PROMOTER TO BE ENCLOSED. 01-07-2019 View Document
12 NON DEFAULT CERTIFICATE FROM A CHARTERED ACCOUNTANT 01-07-2019 View Document












Sr. No.Document DescriptionDate of Document UploadView Document
1 Completion Certificate 25-08-2022 View Document