HRERA PanchkulaTemp Project Id : RERA-PKL-PROJ-507-2019
Submission Date : 16-07-2019 11:20:05 AM
Applicant Type : Company
Project Type: NEW




DREAM MERCHANT PROMOTERS PVT. LTD.
H-69, UPPER GROUND FLOOR, CONNAUGHT CIRCUS, CONNAUGHT PLACE, NRW DELHI 110001
01143527777
9873712862 (Number Shared by Promoter in Public)
s.christopher@ghi.in
XXXX17DE
U45204DL2011PTC222934
 
 


 
 


 
 







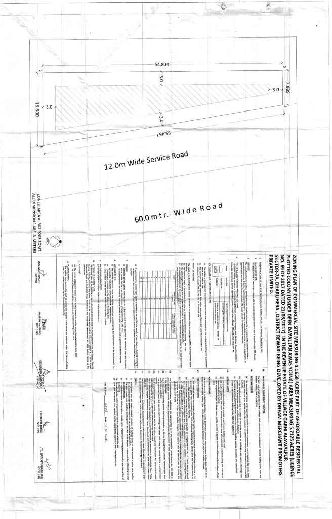
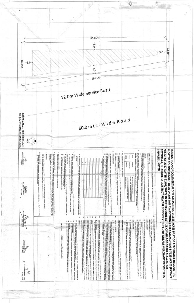
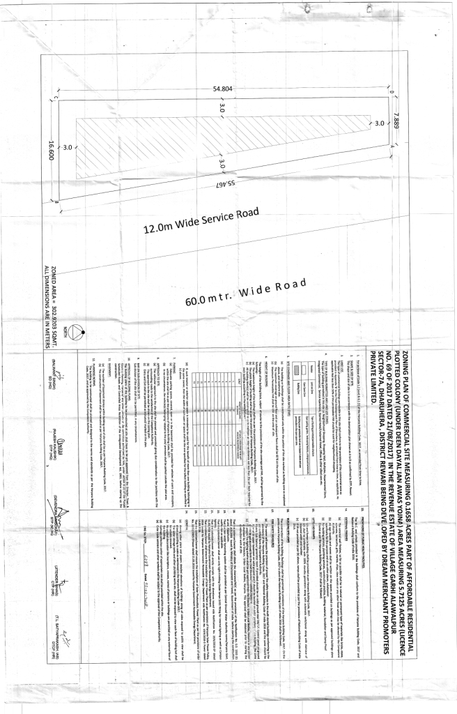
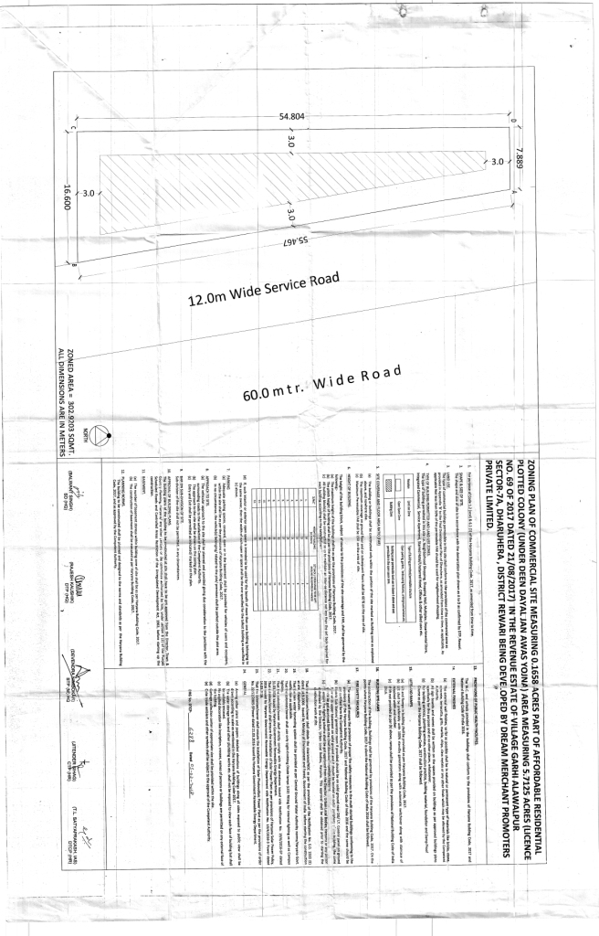
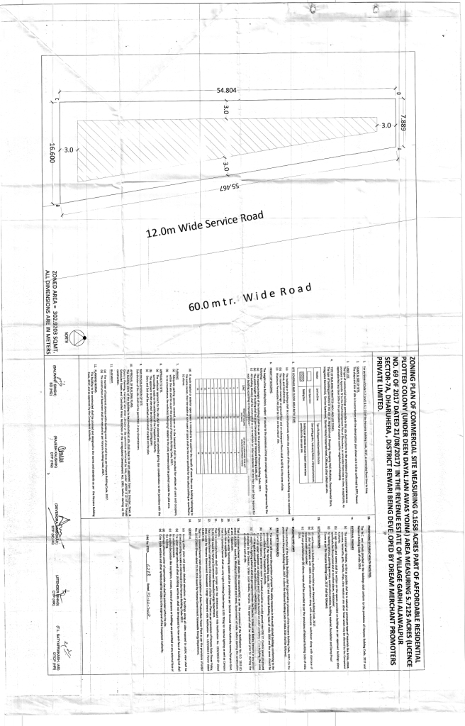
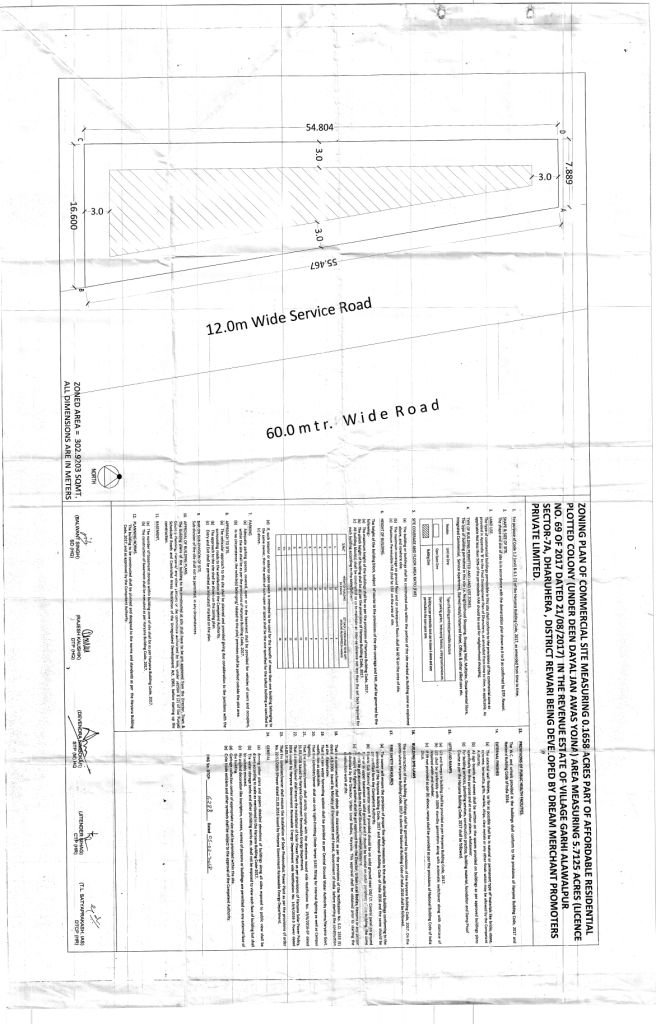
AFFORDABLE RESIDENTIAL PLOTTED COLONY
VILLAGE GARHI ALAWALPUR, SECTOR 7A, DHARUHERA, DISTT.REWARI
REWARI
REWARI
9811032862 (Number Shared by Promoter in Public)
s.christopher@ghi.in
MANMOHAN CHOPRA
9811032862 (Number Shared by Promoter in Public)
manmohan@ghi.in








As per sub-rule(2) of rule 3 of the Haryana Real Estate (Regulation and Development) Rules,2017, the fee for registration of the project as has been calculated as follows:
-----------------------------------------------------------------------------------------------------------------------
-----------------------------------------------------------------------------------------------------------------------
-----------------------------------------------------------------------------------------------------------------------
-----------------------------------------------------------------------------------------------------------------------
2. The aforesaid fees is hereby deposited vide following Drafts/ Banker’s Cheques:-

Sr No.Draft/Cheque No.Draft DateAmountPayee BankPayable To
11279906-02-2018116000HDFC BANK LIMITEDHRERA Panchkula







5.712 (Acre)
2.0
2.0
5.712 (Acre)
69 of 2017 dated 21-08-2017
Yes







2150 Lakhs
691 Lakhs
0.00 Lakhs
462.66 Lakhs
996.34 Lakhs




Sr. No.Land area under usageArea of land (Square Meters)
1PLOTS TO BE SOLD 14096
2LAND AREA TO BE USED FOR CONSTRUCTION OF APARTMENTS 0.00
3CONSTRUCTION OF ROADS 4911
4PAVEMENTS 0.00
5PARKS AND PLAYGROUNDS 1798
6GREEN BELTS 0.00
7VEHICLE PARKINGS 0.00
8ELECTRICITY SUB-STATION 0.00
9CLUB HOUSE 0.00
10SEWAGE AND SOLID WASTE TREATMENT FACILITY 0.00
11AREA TO BE LEFT FOR TRANSFERRING TO THE GOVERNMENT FOR COMMUNITY SERVICES 2311
12ANY OTHER 0.00
Total23116




FacilityExternal/ connecting service to be provided by (Name the agency)Whether Approval taken from the agency concerned. Yes/No (Annex details in folder C)
ROADSTCP HARYANAYes
WATER SUPPLYHUDAYes
ELECTRICITYDHBVNYes
SEWAGE DISPOSALHUDAYes
STORM WATER DRAINAGEHUDAYes




Sr. No.Name of the facilityEstimated cost (In Lakhs)(Within the project area only)Remarks: Yet to be prepared / Submitted to HUDA, Town & Country Planning Department/ as per project report etc. (Annex relevant documents showing costing details etc. in folder C)
1INTERNAL ROADS AND PAVEMENTS109.05SUBMITTED TO HUDA
2WATER SUPPLY SYSTEM92.10SUBMITTED TO HUDA
3STORM WATER DRAINAGE55.72SUBMITTED TO HUDA
4ELECTRICITY SUPPLY SYSTEM70YET TO BE PREPARED
5SEWAGE TREATMENT & GARBAGE DISPOSAL110.50SUBMITTED TO HUDA
6STREET LIGHTING8.80YET TO BE PREPARED
7SECURITY AND FIRE FIGHTING0.00YET TO BE PREPARED
8PLAYGROUNDS AND PARKS8.30SUBMITTED TO HUDA
9CLUB HOUSE/COMMUNITY CENTRE0.00YET TO BE PREPARED
10SHOPPING AREA0.00YET TO BE PREPARED
11RENEWABLE ENERGY SYSTEM0.00YET TO BE PREPARED
12SCHOOL0.00YET TO BE PREPARED
13HOSPITAL/DISPENSARY0.00YET TO BE PREPARED
14ANY OTHER0.00YET TO BE PREPARED


12-05-2017 (date)
NA (date)
15-04-2018
25-12-2022
Sr. No Plot Area(In Square Meter)Number of plots in the project
1 128.91015 8
2 126.04 8
3 126.91 26
4 121.96 1
5 145.04 1
6 104.483 31
7 104.904 19
8 105.5751 5
9 100.347 9
10 98.6372 1
Total109


TypeCarpet area(In Square Meter)Number of apartmentsNumber of towers
Apartment/Shops/Other Buildings000





Expenditure incurred till the date of application (In Lakhs)

ParticularsExpenditure

Expenditure to be made in each quarter (In Lakhs)

ParticularsYear-2018
Jan-MarApr-JuneJuly-SepOct-Dec
Apartments0
Shops0
Plots0




Expenditure incurred till the date of application (In Lakhs)

ParticularsExpenditure

Expenditure to be made in each quarter (In Lakhs)

ParticularsExpenditure to be made in each quarter (2018)
Apr-JuneJuly-SepOct-DecJan-Mar












Yes
Yes
HDFC BANK, CONNAUGHT PLACE
50200029537710
HDFC0000313
110240045
0313
Naresh
Submitter earlier











Yes
Yes
No
No
No
No
No
No
No
No


Yes
No
Yes
Yes
Yes
Yes
Yes
No
Statutory Approvals Statutory Approvals StatusDate
I. SERVICE ESTIMATEALREADY BEEN OBTAINEDNA
II. LAYOUT PLANALREADY BEEN OBTAINEDNA
III. ZONING PLANALREADY BEEN OBTAINEDNA








No


No















SPECIFICATION OF CONSTRUCTION
Specification of apartments and other buildings including the following:
1FLOORING DETAILS OF VARIOUS PARTS OF HOUSENA
2WALL FINISHING DETAILSNA
3KITCHEN DETAILSNA
4BATHROOM FITTINGSNA
5WOOD WORK ETCNA
6DOORS AND WINDOS FRAMESNA
7GLASS WORKNA
8ELECTRIC FITTINGSNA
9CONDUCTING AND WIRING DETAILSNA
10CUPBOARD DETAILSNA
11WATER STORAGENA
12LIFT DETAILSNA
13EXTERNAL GLAZINGSNA
13.1WINDOWS/GLAZINGSNA
14DOORSNA
14.1MAIN DOORSNA
14.2INTERNAL DOORSNA
15AIR CONDITIONINGNA
16ELECTRICAL FITTINGSNA
17CNG PIPE LINENA
18PROVISION OF WIFI AND BROADBAND FACILITYNA
19EXTERNAL FINISHING/COLOUR SCHEMENA
20INTERNAL FINISHINGNA
SPECIFICATION UNIT WISE
1 . LIVING/DINING/FOYER/FAMILY LOUNGE
1 . 1 FLOORNA
1 . 2 WALLSNA
1 . 3 CEILINGNA
2 . MASTER BEDROOM/DRESSROOM
2 . 1 FLOORNA
2 . 2 WALLSNA
2 . 3 CEILINGNA
2 . 4 MODULAR WARDROBESNA
3 . MASTER TOILET
3 . 1 FLOORNA
3 . 2 WALLSNA
3 . 3 CEILINGNA
3 . 4 COUNTERSNA
3 . 5 SANITARY WARE/CP FITTINGSNA
3 . 6 FITTING/FIXTURESNA
4 . BED ROOMS
4 . 1 FLOORNA
4 . 2 WALLSNA
4 . 3 CEILINGNA
4 . 4 WARDROBESNA
5 . TOILET
5 . 1 FLOORNA
5 . 2 WALLSNA
5 . 3 CEILINGNA
5 . 4 COUNTERSNA
5 . 5 SANITARY WARE/CP FITTINGSNA
5 . 6 FIXTURESNA
6 . KITCHEN
6 . 1 FLOORNA
6 . 2 WALLSNA
6 . 3 CEILINGNA
6 . 4 COUNTERSNA
6 . 5 FIXTURESNA
6 . 6 KITCHEN APPLIANCESNA
7 . UTILITY ROOMS/UTILITY BALCONY/TOILET
7 . 1 FLOORNA
7 . 2 WALLS & CEILINGNA
7 . 3 TOILETNA
7 . 4 BALCONYNA
8 . SIT-OUTS
8 . 1 FLOORNA
8 . 2 WALLS & CEILINGNA
8 . 3 RAILINGSNA
8 . 4 FIXTURESNA












Sr. No.Document DescriptionDate of Document UploadView Document
1 FORM REP-I PART-B-X 24-04-2019 ------
2 DECLARATION SUPPORTED BY AFFIDAVIT DULY SIGNED BY THE PROMOTER TO BE ENCLOSED. 22-04-2019 View Document
3 COPY OF LICENSE ALONG WITH SCHEDULE OF LAND 22-04-2019 View Document
4 DEMARCATION PLAN 22-04-2019 View Document
5 HARERA CERTIFICATE 24-04-2019 ------
6 SERVICE PLANS SHOWING THE SERVICES ON THE LAYOUT PLAN 24-04-2019 View Document
7 IN CASE OF PLOTTED COLONY, THE LATEST LAYOUT PLAN 16-07-2019 View Document
8 NON DEFAULT CERTIFICATE FROM A CHARTERED ACCOUNTANT 16-07-2019 View Document
9 IN CASE OF GROUP HOUSING/ COMMERCIAL SITES, A COPY OF THE APPROVED SITE PLAN 16-07-2019 View Document












Sr. No.Document DescriptionDate of Document UploadView Document
1 extenstion uploaded 14-10-2025 View Document