HRERA PanchkulaTemp Project Id : RERA-PKL-PROJ-976-2021
Submission Date : 19-11-2021 05:05:55 PM
Applicant Type : Company
Project Type: NEW




SUNCITY BUILDCON PVT LTD.
A-924, SHIDDHIVINAYAK BUSINESS TOWER, BEHIND DCP OFFICE, MAKARABA, S.G.HIGHWAY, AHMEDABAD
01244691000
9654131894 (Number Shared by Promoter in Public)
info@suncityprojects.com
http://suncityprojects.com
XXXX590F
U45201DL2003PTC121479
 
 


 
 


 
 







SUNCITY 34
SECTOR 34 ROHTAK
ROHTAK
ROHTAK
01244691000
8307316898 (Number Shared by Promoter in Public)
info@suncityprojects.com
ANUJ KUMAR
01244691000
8826641055 (Number Shared by Promoter in Public)
anuj@suncityprojects.com








As per sub-rule(2) of rule 3 of the Haryana Real Estate (Regulation and Development) Rules,2017, the fee for registration of the project as has been calculated as follows:
-----------------------------------------------------------------------------------------------------------------------
-----------------------------------------------------------------------------------------------------------------------
-----------------------------------------------------------------------------------------------------------------------
-----------------------------------------------------------------------------------------------------------------------
2. The aforesaid fees is hereby deposited vide following Drafts/ Banker’s Cheques:-

Sr No.Draft/Cheque No.Draft DateAmountPayee BankPayable To
151309228-10-2021104600ICICI BANKHRERA Panchkula







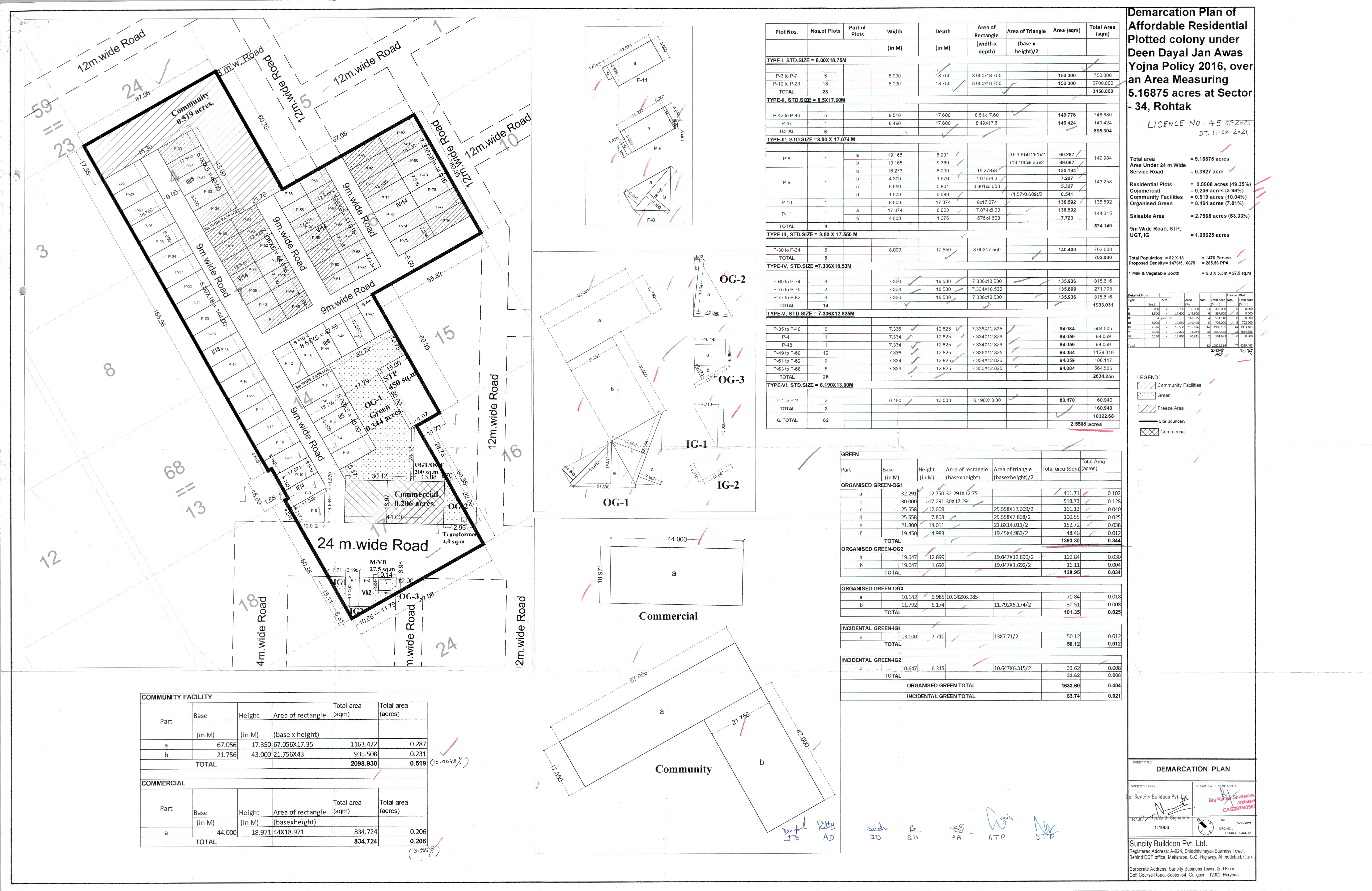
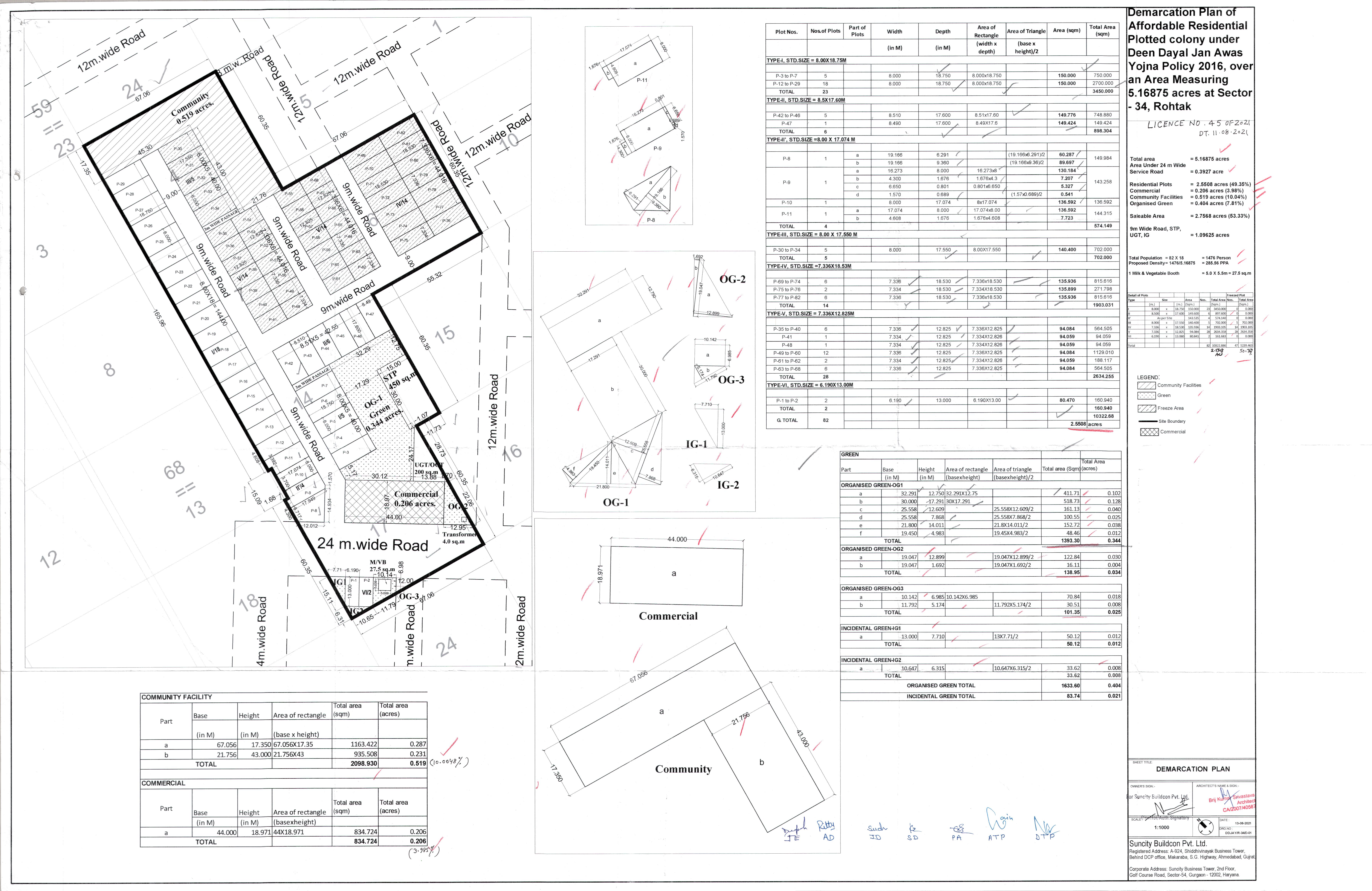
5.16875 (Acre)
2.64 for plots
2.64
5.16875 (Acre)
License No. 45 of 2021 dated 11.08.2021
Yes







586.65 Lakhs
203.30 Lakhs
0 Lakhs
396.46 Lakhs
190.19 Lakhs




Sr. No.Land area under usageArea of land (Square Meters)
1PLOTS TO BE SOLD 10322.88
2LAND AREA TO BE USED FOR CONSTRUCTION OF APARTMENTS 0
3CONSTRUCTION OF ROADS 3551.27
4PAVEMENTS 0
5PARKS AND PLAYGROUNDS 1714.25
6GREEN BELTS 0
7VEHICLE PARKINGS 0
8ELECTRICITY SUB-STATION 4.00
9CLUB HOUSE 0
10SEWAGE AND SOLID WASTE TREATMENT FACILITY 0
11AREA TO BE LEFT FOR TRANSFERRING TO THE GOVERNMENT FOR COMMUNITY SERVICES 2100.32
12ANY OTHER 0
13TWENTYFOURMETERROAD 1589.20
14UGT 200.00
15STP 450.00
16PATHWAY 108.90
17COMMERCIAL 834.46
18TWELVEMETERROAD 41.91
Total20917.19




FacilityExternal/ connecting service to be provided by (Name the agency)Whether Approval taken from the agency concerned. Yes/No (Annex details in folder C)
ROADSALREADY CONNECTEDNo
WATER SUPPLYMUNICIPAL CORPORATION ROHTAKNo
ELECTRICITYDHVNLNo
SEWAGE DISPOSALMUNICIPAL CORPORATION ROHTAKNo
STORM WATER DRAINAGEMUNICIPAL CORPORATION ROHTAKNo




Sr. No.Name of the facilityEstimated cost (In Lakhs)(Within the project area only)Remarks: Yet to be prepared / Submitted to HUDA, Town & Country Planning Department/ as per project report etc. (Annex relevant documents showing costing details etc. in folder C)
1INTERNAL ROADS AND PAVEMENTS105.01SUBMITTED TO TOWN & COUNTRY PLANNING
2WATER SUPPLY SYSTEM78.31SUBMITTED TO TOWN & COUNTRY PLANNING
3STORM WATER DRAINAGE55.69SUBMITTED TO TOWN & COUNTRY PLANNING
4ELECTRICITY SUPPLY SYSTEM55SUBMITTED TO TOWN & COUNTRY PLANNING
5SEWAGE TREATMENT & GARBAGE DISPOSAL69.54AS PER PROJECT REPORT
6STREET LIGHTING19.84SUBMITTED TO TOWN & COUNTRY PLANNING
7SECURITY AND FIRE FIGHTING0SUBMITTED TO TOWN & COUNTRY PLANNING
8PLAYGROUNDS AND PARKS3.07SUBMITTED TO TOWN & COUNTRY PLANNING
9CLUB HOUSE/COMMUNITY CENTRE0SUBMITTED TO TOWN & COUNTRY PLANNING
10SHOPPING AREA0SUBMITTED TO TOWN & COUNTRY PLANNING
11RENEWABLE ENERGY SYSTEM0SUBMITTED TO TOWN & COUNTRY PLANNING
12SCHOOL0SUBMITTED TO TOWN & COUNTRY PLANNING
13HOSPITAL/DISPENSARY0SUBMITTED TO TOWN & COUNTRY PLANNING
14ANY OTHER10SUBMITTED TO TOWN & COUNTRY PLANNING


11-08-2021 (date)
NA (date)
12-08-2021
10-08-2026
Sr. No Plot Area(In Square Meter)Number of plots in the project
1 150 23
2 136.59 1
3 149.77 5
4 140.40 5
5 135.94 12
6 94.08 24
7 80.47 2
8 149.98 1
9 143.26 1
10 144.314 1
11 149.424 1
12 94.06 4
13 135.90 2
Total82


TypeCarpet area(In Square Meter)Number of apartmentsNumber of towers
Apartment/Shops/Other Buildings000





Expenditure incurred till the date of application (In Lakhs)

ParticularsExpenditure

Expenditure to be made in each quarter (In Lakhs)

ParticularsExpenditure to be made in each quarter ()
Apr-JuneJuly-SepOct-DecJan-Mar




Expenditure incurred till the date of application (In Lakhs)

ParticularsExpenditure

Expenditure to be made in each quarter (In Lakhs)

ParticularsYear-2021
Jan-MarApr-JuneJuly-SepOct-Dec
Roads & Pavements34
Water Supply System26
Sewerage treatment & garbage disposal23
Electricity Supply System18
Storm Water Drainage18.50
Parks and Playgrounds1
Clubhouse/community centres0
Shopping area0
Other3
Street Lighting6.5












Yes
No
ICICI BANK, UNIT NUMBER 11, TIMES TOWER, M G ROAD, GURGAON - 122001
114305000571
ICIC0001143
110229199
1143
Ankit Goel
Attached











Yes
Yes
No
No
No
No
No
No
No
No


Yes
No
Yes
Yes
Yes
Yes
Yes
No
Statutory Approvals Statutory Approvals StatusDate
I. LICENSEALREADY BEEN OBTAINED11-08-2021
II. ZONING PLANALREADY BEEN OBTAINED17-11-2021








Yes


Yes


Attached













SPECIFICATION OF CONSTRUCTION
Specification of apartments and other buildings including the following:
1FLOORING DETAILS OF VARIOUS PARTS OF HOUSENA
2WALL FINISHING DETAILSNA
3KITCHEN DETAILSNA
4BATHROOM FITTINGSNA
5WOOD WORK ETCNA
6DOORS AND WINDOS FRAMESNA
7GLASS WORKNA
8ELECTRIC FITTINGSNA
9CONDUCTING AND WIRING DETAILSNA
10CUPBOARD DETAILSNA
11WATER STORAGENA
12LIFT DETAILSNA
13EXTERNAL GLAZINGSNA
13.1WINDOWS/GLAZINGSNA
14DOORSNA
14.1MAIN DOORSNA
14.2INTERNAL DOORSNA
15AIR CONDITIONINGNA
16ELECTRICAL FITTINGSNA
17CNG PIPE LINENA
18PROVISION OF WIFI AND BROADBAND FACILITYNA
19EXTERNAL FINISHING/COLOUR SCHEMENA
20INTERNAL FINISHINGNA
SPECIFICATION UNIT WISE
1 . LIVING/DINING/FOYER/FAMILY LOUNGE
1 . 1 FLOORNA
1 . 2 WALLSNA
1 . 3 CEILINGNA
2 . MASTER BEDROOM/DRESSROOM
2 . 1 FLOORNA
2 . 2 WALLSNA
2 . 3 CEILINGNA
2 . 4 MODULAR WARDROBESNA
3 . MASTER TOILET
3 . 1 FLOORNA
3 . 2 WALLSNA
3 . 3 CEILINGNA
3 . 4 COUNTERSNA
3 . 5 SANITARY WARE/CP FITTINGSNA
3 . 6 FITTING/FIXTURESNA
4 . BED ROOMS
4 . 1 FLOORNA
4 . 2 WALLSNA
4 . 3 CEILINGNA
4 . 4 WARDROBESNA
5 . TOILET
5 . 1 FLOORNA
5 . 2 WALLSNA
5 . 3 CEILINGNA
5 . 4 COUNTERSNA
5 . 5 SANITARY WARE/CP FITTINGSNA
5 . 6 FIXTURESNA
6 . KITCHEN
6 . 1 FLOORNA
6 . 2 WALLSNA
6 . 3 CEILINGNA
6 . 4 COUNTERSNA
6 . 5 FIXTURESNA
6 . 6 KITCHEN APPLIANCESNA
7 . UTILITY ROOMS/UTILITY BALCONY/TOILET
7 . 1 FLOORNA
7 . 2 WALLS & CEILINGNA
7 . 3 TOILETNA
7 . 4 BALCONYNA
8 . SIT-OUTS
8 . 1 FLOORNA
8 . 2 WALLS & CEILINGNA
8 . 3 RAILINGSNA
8 . 4 FIXTURESNA












Sr. No.Document DescriptionDate of Document UploadView Document
1 COPY OF LICENSE ALONG WITH SCHEDULE OF LAND 19-10-2021 View Document
2 IN CASE OF GROUP HOUSING/ COMMERCIAL SITES, A COPY OF THE APPROVED SITE PLAN 27-10-2021 View Document
3 IN CASE OF PLOTTED COLONY, THE LATEST LAYOUT PLAN 27-10-2021 View Document
4 SERVICE PLANS SHOWING THE SERVICES ON THE LAYOUT PLAN 27-10-2021 View Document
5 DEMARCATION PLAN 27-10-2021 View Document
6 DECLARATION SUPPORTED BY AFFIDAVIT DULY SIGNED BY THE PROMOTER TO BE ENCLOSED. 27-10-2021 View Document
7 ZONING PLAN 18-11-2021 View Document
8 NON DEFAULT CERTIFICATE FROM A CHARTERED ACCOUNTANT 19-11-2021 View Document
9 CERTIFICATE FROM A CHARTERED ACCOUNTANT CERTIFYING THAT THE INFORMSTION PROVIDED BY THE APPLICANT IN FORM REP-1-C-X IS CORRECT AS PER THE BOOKS OF ACCOUNTS/ BALANCE SHEET OF THE APPLICANT 19-11-2021 View Document
10 COST ESTIMATES BY CA 19-11-2021 ------
11 EXPENSES INCURRED CERTIFICATE 19-11-2021 ------












Sr. No.Document DescriptionDate of Document UploadView Document
1 Completion Certificate dated-16.09.2022 12-04-2023 View Document