HRERA PanchkulaTemp Project Id : RERA-PKL-PROJ-860-2020
Submission Date : 15-09-2020 10:31:25 PM
Applicant Type : Company
Project Type: NEW




GODREJ PROPERTIES LIMITED
3RD FLOOR UM HOUSE SECTOR 44 GURUGRAM
01244956150
0124495615 (Number Shared by Promoter in Public)
ho_rera@godrejproperties.com
http://www.godrejproperties.com
XXXX995M
L74120MH1985PLC035308
 
 


 
 


 
 


 
 


 
 


 
 


 
 


 
 


 
 


 
 







GODREJ RETREAT VISTA
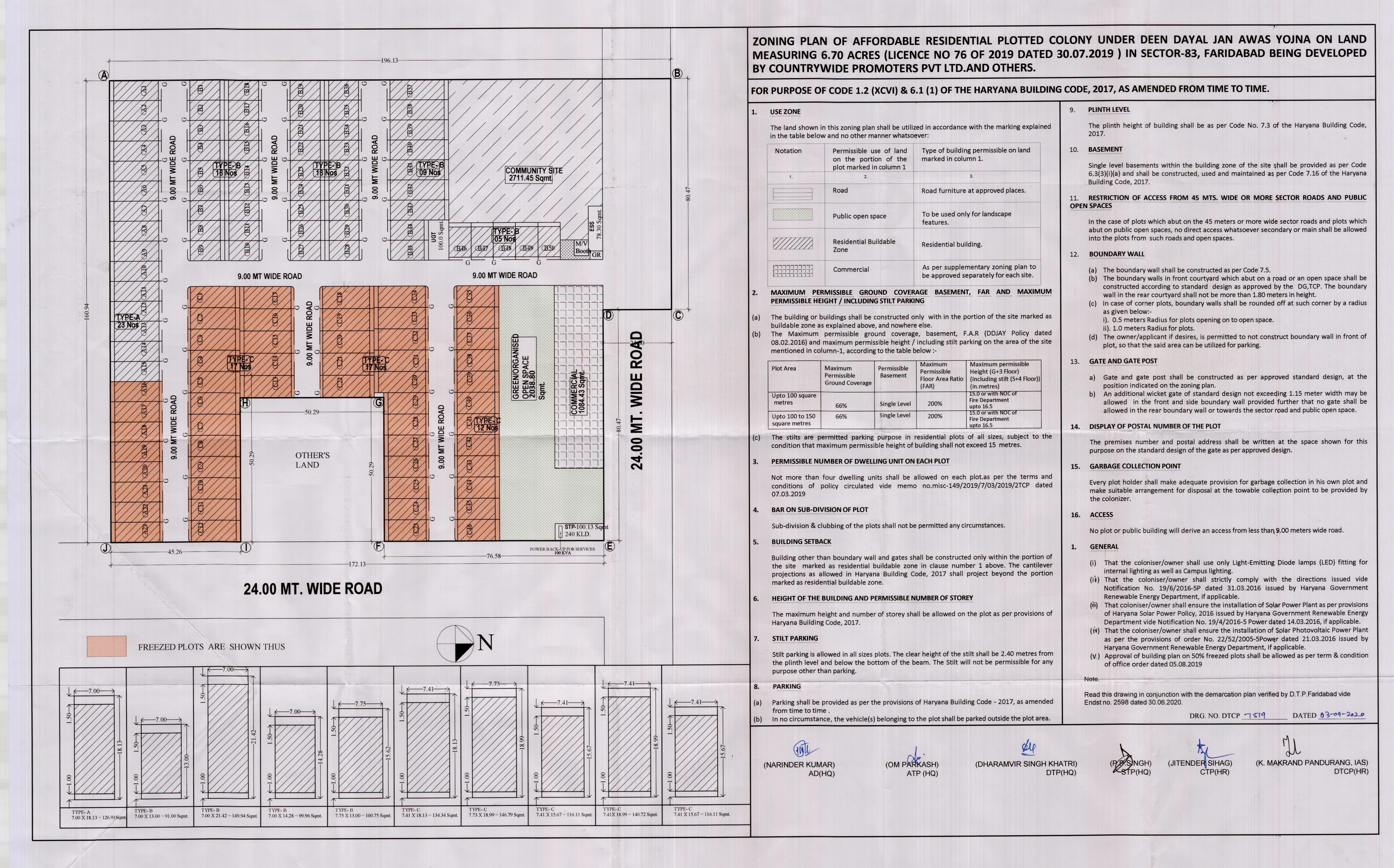
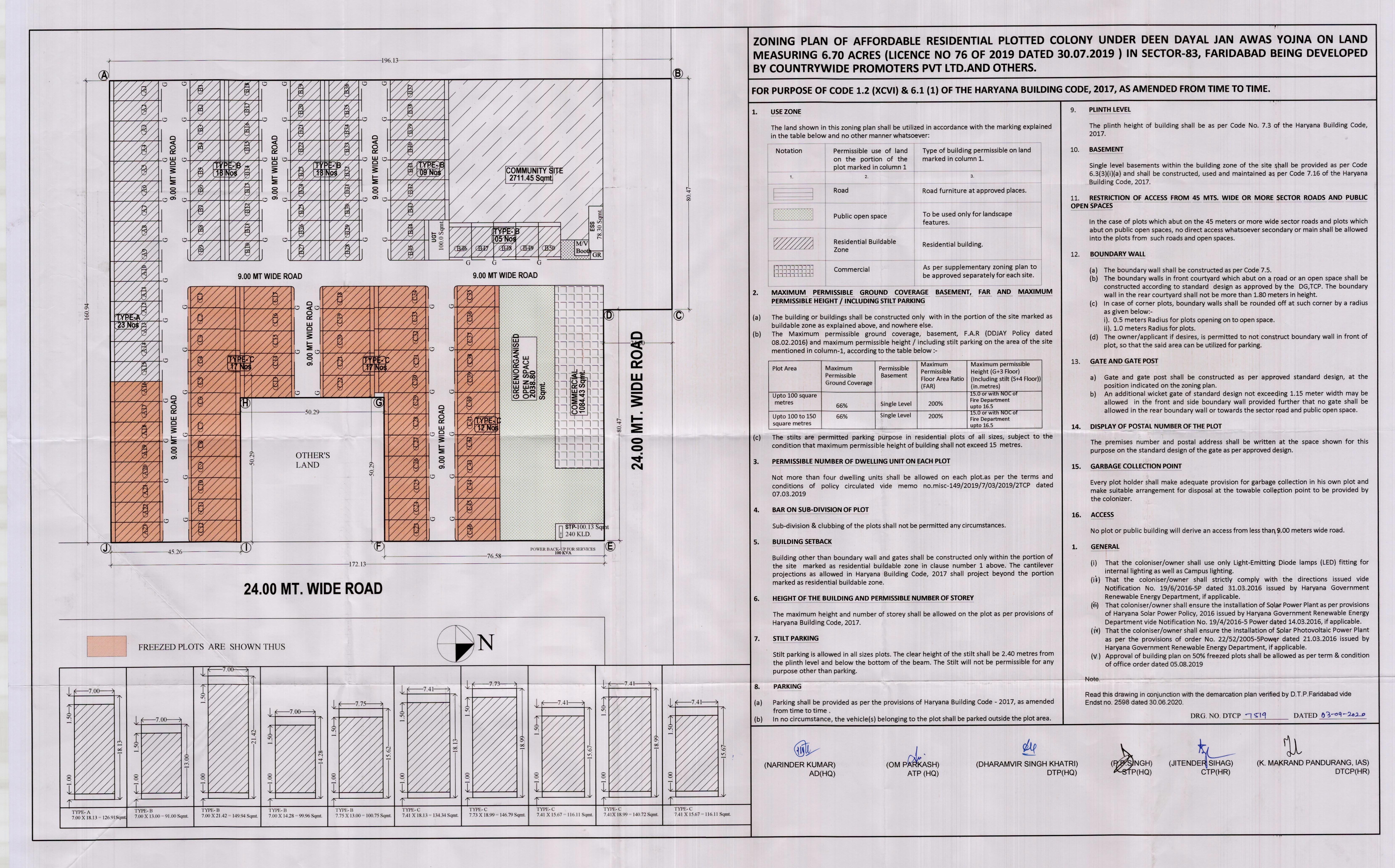
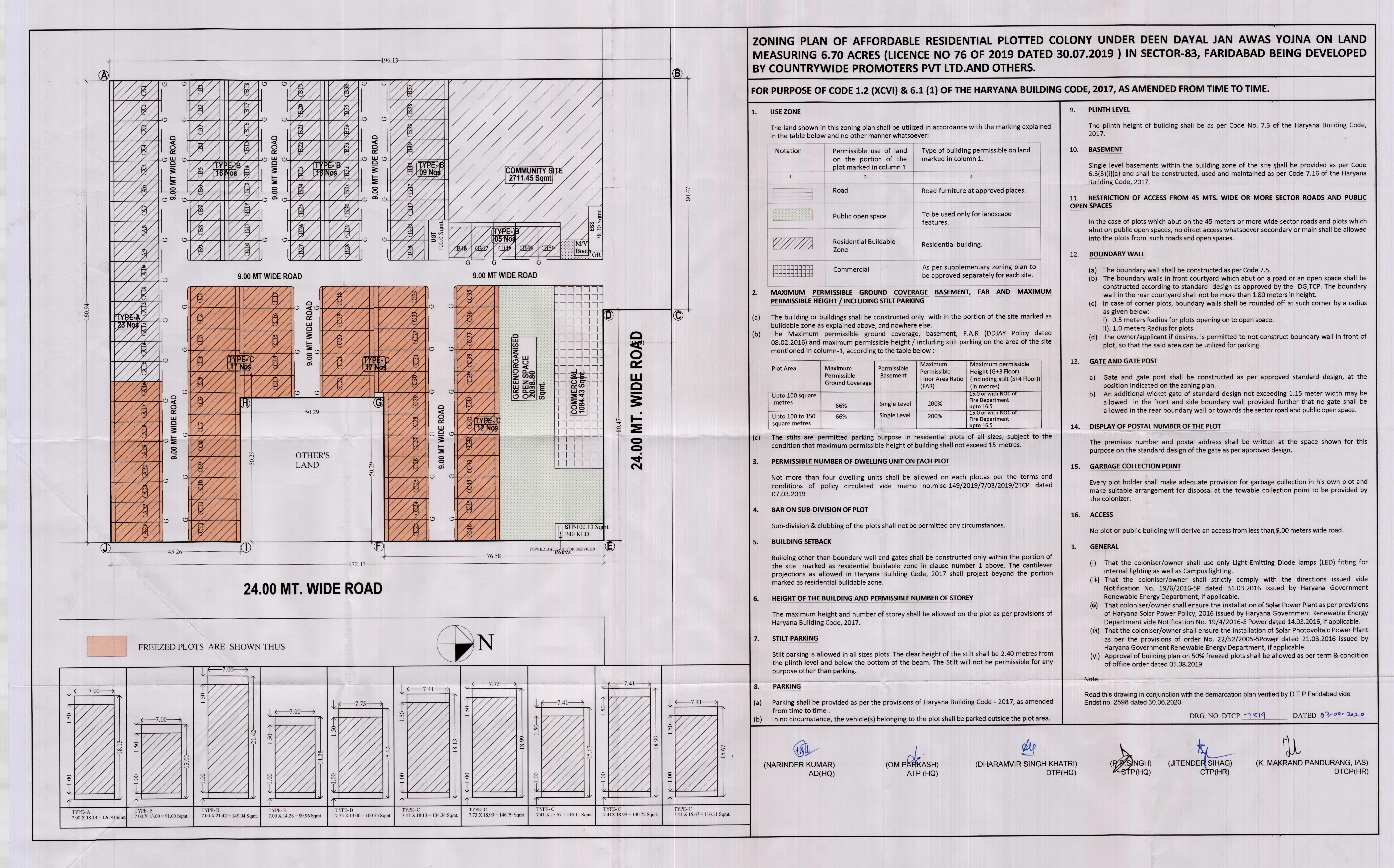
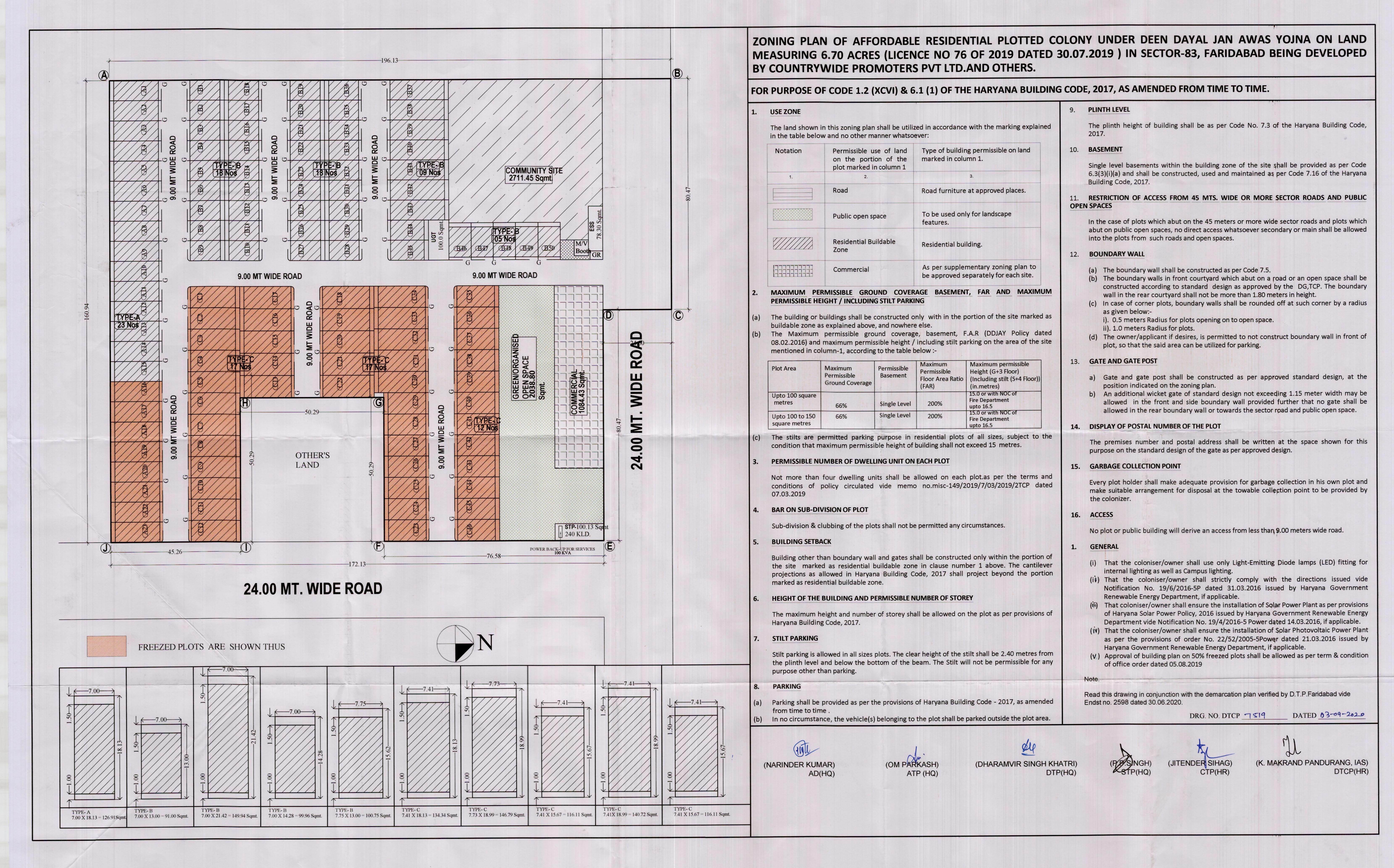
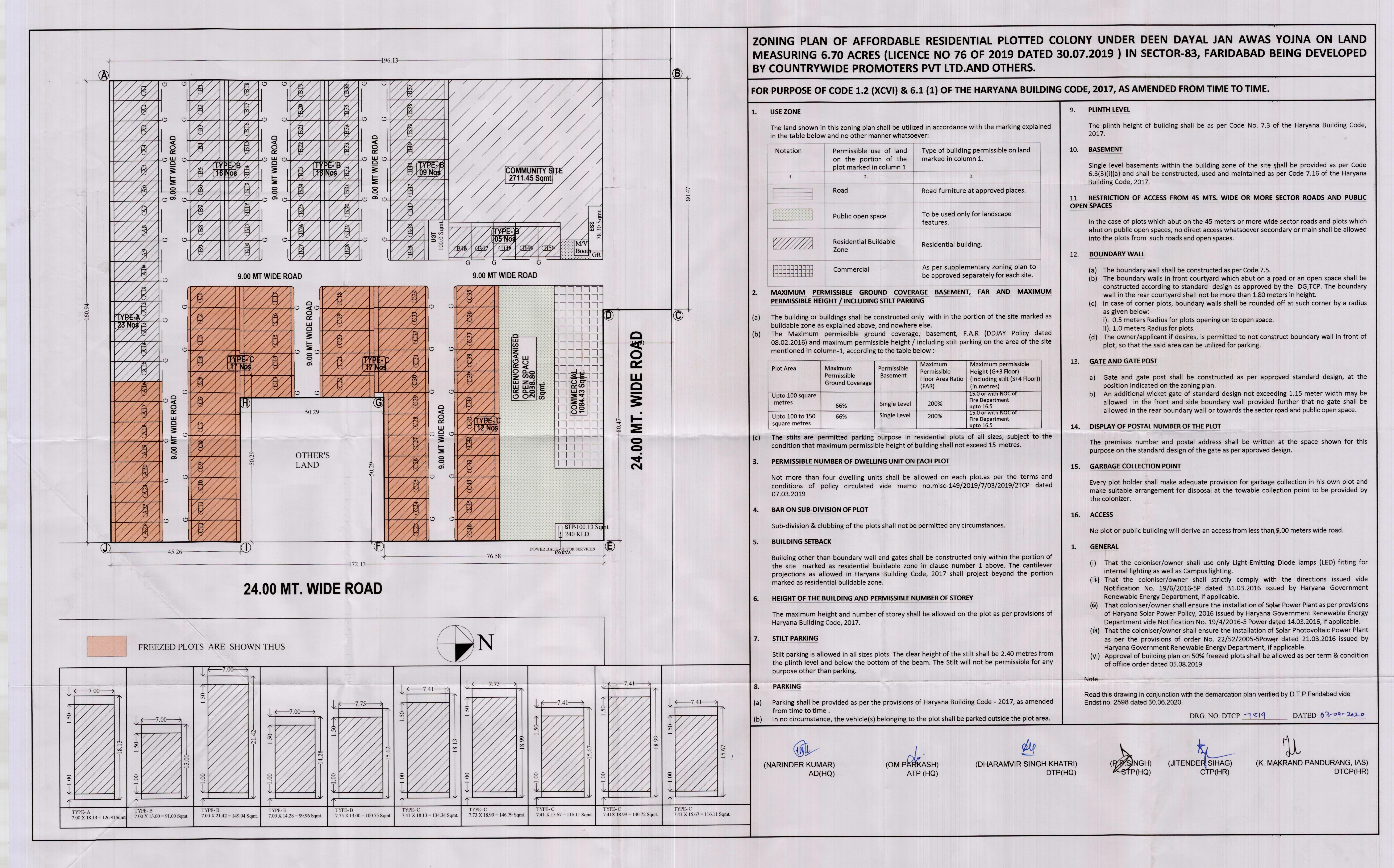
SECTION 83
FARIDABAD
FARIDABAD
2261698888
2261698888 (Number Shared by Promoter in Public)
ho_rera@godrejproperties.com
ROHIT SANTOSH
2261698888
2261698888 (Number Shared by Promoter in Public)
ho_rera@godrejproperties.com








As per sub-rule(2) of rule 3 of the Haryana Real Estate (Regulation and Development) Rules,2017, the fee for registration of the project as has been calculated as follows:
-----------------------------------------------------------------------------------------------------------------------
-----------------------------------------------------------------------------------------------------------------------
-----------------------------------------------------------------------------------------------------------------------
-----------------------------------------------------------------------------------------------------------------------
2. The aforesaid fees is hereby deposited vide following Drafts/ Banker’s Cheques:-

Sr No.Draft/Cheque No.Draft DateAmountPayee BankPayable To
150104403-09-2020326724HDFC BANKHRERA Panchkula







6.432 (Acre)
2
2
6.70 (Acre)
76 of 2019(29-07-2024)
Yes







5232 Lakhs
3277 Lakhs
0 Lakhs
556 Lakhs
1400 Lakhs




Sr. No.Land area under usageArea of land (Acres)
1PLOTS TO BE SOLD 3.444
2LAND AREA TO BE USED FOR CONSTRUCTION OF APARTMENTS 0
3CONSTRUCTION OF ROADS 1.735
4PAVEMENTS 0.08
5PARKS AND PLAYGROUNDS 0.504
6GREEN BELTS 0
7VEHICLE PARKINGS 0
8ELECTRICITY SUB-STATION 0.019
9CLUB HOUSE 0
10SEWAGE AND SOLID WASTE TREATMENT FACILITY 0.024
11AREA TO BE LEFT FOR TRANSFERRING TO THE GOVERNMENT FOR COMMUNITY SERVICES 0.67
12ANY OTHER 0
Total6.476




FacilityExternal/ connecting service to be provided by (Name the agency)Whether Approval taken from the agency concerned. Yes/No (Annex details in folder C)
ROADSHSVPNo
WATER SUPPLYHSVPNo
ELECTRICITYDHBVNNo
SEWAGE DISPOSALHSVPNo
STORM WATER DRAINAGEHSVPNo




Sr. No.Name of the facilityEstimated cost (In Lakhs)(Within the project area only)Remarks: Yet to be prepared / Submitted to HUDA, Town & Country Planning Department/ as per project report etc. (Annex relevant documents showing costing details etc. in folder C)
1INTERNAL ROADS AND PAVEMENTS71.8YET TO BE PREPARED
2WATER SUPPLY SYSTEM7.7YET TO BE PREPARED
3STORM WATER DRAINAGE68.7YET TO BE PREPARED
4ELECTRICITY SUPPLY SYSTEM143.8YET TO BE PREPARED
5SEWAGE TREATMENT & GARBAGE DISPOSAL29.6YET TO BE PREPARED
6STREET LIGHTING17.3YET TO BE PREPARED
7SECURITY AND FIRE FIGHTING0YET TO BE PREPARED
8PLAYGROUNDS AND PARKS29YET TO BE PREPARED
9CLUB HOUSE/COMMUNITY CENTRE0YET TO BE PREPARED
10SHOPPING AREA0YET TO BE PREPARED
11RENEWABLE ENERGY SYSTEM0YET TO BE PREPARED
12SCHOOL0YET TO BE PREPARED
13HOSPITAL/DISPENSARY0YET TO BE PREPARED
14ANY OTHER188YET TO BE PREPARED


01-07-2019 (date)
NA (date)
10-09-2020
30-09-2022
Sr. No Plot Area(In Square Meter)Number of plots in the project
1 91.00 36
2 99.9397 2
3 100.75 5
4 116.11 19
5 126.86 23
6 134.34 12
7 140.72 5
8 146.79 10
9 149.94 7
Total119


TypeCarpet area(In Square Meter)Number of apartmentsNumber of towers
Apartment/Shops/Other Buildings000





Expenditure incurred till the date of application (In Lakhs)

ParticularsExpenditure
Apartments0
Shops0
Plots0

Expenditure to be made in each quarter (In Lakhs)

ParticularsExpenditure to be made in each quarter ()
Apr-JuneJuly-SepOct-DecJan-Mar




Expenditure incurred till the date of application (In Lakhs)

ParticularsExpenditure
Roads & Pavements0
Water Supply System0
Sewerage treatment & garbage disposal0
Electricity Supply System0
Storm Water Drainage0
Parks and Playgrounds0
Clubhouse/community centres0
Shopping area0
Other0

Expenditure to be made in each quarter (In Lakhs)

ParticularsYear-2020
Jan-MarApr-JuneJuly-SepOct-Dec
Roads & Pavements10.43.013.4
Water Supply System1.10.31.4
Sewerage treatment & garbage disposal4.31.25.5
Electricity Supply System20.96.026.8
Storm Water Drainage10.02.912.8
Parks and Playgrounds14.3014.3
Clubhouse/community centres000
Shopping area000
Other17.29.026.2
Street lighting2.50.73.2

ParticularsYear-2021
Jan-MarApr-JuneJuly-SepOct-Dec
Roads & Pavements6.712.19.18.3
Water Supply System0.71.31.00.9
Sewerage treatment & garbage disposal2.85.03.73.4
Electricity Supply System13.424.318.216.6
Storm Water Drainage6.411.68.77.9
Parks and Playgrounds0000
Clubhouse/community centres0000
Shopping area0000
Other20.236.727.425.0
Street lighting1.62.92.22.0

ParticularsYear-2022
Jan-MarApr-JuneJuly-SepOct-Dec
Roads & Pavements05.23.6
Water Supply System00.60.4
Sewerage treatment & garbage disposal02.11.5
Electricity Supply System010.47.2
Storm Water Drainage05.03.4
Parks and Playgrounds000
Clubhouse/community centres000
Shopping area000
Other015.710.8
Street lighting01.30.9












Yes
No
AXIS BANK, DLF STAR TOWER, STS 25 & 45 SECTOR 30, GURGAON -122002
920020002280216
UTIB0003622
110211230
3622
Sandeep Somani, 3rd Floor UM House Sector 22 Gurugram











Yes
No
Yes
No
No
No
No
No
No
No


No
Yes
Yes
Yes
Yes
No
Yes
No
Statutory Approvals Statutory Approvals StatusDate
I. LOIALREADY BEEN OBTAINED21-02-2019
II. LAYOUT PLANALREADY BEEN OBTAINED01-07-2019
III. LICENCE NO. 76 OF 2019ALREADY BEEN OBTAINED30-07-2019
IV. FOREST NOCALREADY BEEN OBTAINED26-06-2020
V. CONSENT TO ESTABLISH (CTE)ALREADY BEEN OBTAINED06-07-2020
VI. ORDER FOR TRANSFER OF LICENCEALREADY BEEN OBTAINED07-09-2020
VII. APPROVAL OF ZONING PLANALREADY BEEN OBTAINED07-09-2020








Yes


Yes


Agreement will be executed between Promoter and the Allottee







GODREJ HABITAT, SECTOR 3
7.46875
384
0
222
0
Initially estimated cost (In Lakhs)Revised cost (In Lakhs)Expenditure incurred upto the date of application (In Lakhs)
Total cost of the project
(Other than cost of land)
42400424007925.89
Cost of the apartments18300183001161.59
Cost of the infrastructure250025007.76
Others costs11500115006756.54


5370.62 Lakhs
17658.00 Lakhs
0 Lakhs
0 Lakhs
Yes
25-02-2023
25-02-2023










SPECIFICATION OF CONSTRUCTION
Specification of apartments and other buildings including the following:
1FLOORING DETAILS OF VARIOUS PARTS OF HOUSENA
2WALL FINISHING DETAILSNA
3KITCHEN DETAILSNA
4BATHROOM FITTINGSNA
5WOOD WORK ETCNA
6DOORS AND WINDOS FRAMESNA
7GLASS WORKNA
8ELECTRIC FITTINGSNA
9CONDUCTING AND WIRING DETAILSNA
10CUPBOARD DETAILSNA
11WATER STORAGENA
12LIFT DETAILSNA
13EXTERNAL GLAZINGSNA
13.1WINDOWS/GLAZINGSNA
14DOORSNA
14.1MAIN DOORSNA
14.2INTERNAL DOORSNA
15AIR CONDITIONINGNA
16ELECTRICAL FITTINGSNA
17CNG PIPE LINENA
18PROVISION OF WIFI AND BROADBAND FACILITYNA
19EXTERNAL FINISHING/COLOUR SCHEMENA
20INTERNAL FINISHINGNA
SPECIFICATION UNIT WISE
1 . LIVING/DINING/FOYER/FAMILY LOUNGE
1 . 1 FLOORNA
1 . 2 WALLSNA
1 . 3 CEILINGNA
2 . MASTER BEDROOM/DRESSROOM
2 . 1 FLOORNA
2 . 2 WALLSNA
2 . 3 CEILINGNA
2 . 4 MODULAR WARDROBESNA
3 . MASTER TOILET
3 . 1 FLOORNA
3 . 2 WALLSNA
3 . 3 CEILINGNA
3 . 4 COUNTERSNA
3 . 5 SANITARY WARE/CP FITTINGSNA
3 . 6 FITTING/FIXTURESNA
4 . BED ROOMS
4 . 1 FLOORNA
4 . 2 WALLSNA
4 . 3 CEILINGNA
4 . 4 WARDROBESNA
5 . TOILET
5 . 1 FLOORNA
5 . 2 WALLSNA
5 . 3 CEILINGNA
5 . 4 COUNTERSNA
5 . 5 SANITARY WARE/CP FITTINGSNA
5 . 6 FIXTURESNA
6 . KITCHEN
6 . 1 FLOORNA
6 . 2 WALLSNA
6 . 3 CEILINGNA
6 . 4 COUNTERSNA
6 . 5 FIXTURESNA
6 . 6 KITCHEN APPLIANCESNA
7 . UTILITY ROOMS/UTILITY BALCONY/TOILET
7 . 1 FLOORNA
7 . 2 WALLS & CEILINGNA
7 . 3 TOILETNA
7 . 4 BALCONYNA
8 . SIT-OUTS
8 . 1 FLOORNA
8 . 2 WALLS & CEILINGNA
8 . 3 RAILINGSNA
8 . 4 FIXTURESNA












Sr. No.Document DescriptionDate of Document UploadView Document
1 IN CASE OF PLOTTED COLONY, THE LATEST LAYOUT PLAN 04-08-2020 View Document
2 COPY OF LICENSE ALONG WITH SCHEDULE OF LAND 04-08-2020 View Document
3 CONSENT TO ESTABLISH (CTE) 06-08-2020 ------
4 LETTER OF INTENT (LOI) 04-08-2020 ------
5 SALE DEED 14-09-2020 ------
6 IN CASE OF GROUP HOUSING/ COMMERCIAL SITES, A COPY OF THE APPROVED SITE PLAN 10-09-2020 View Document
7 NON DEFAULT CERTIFICATE FROM A CHARTERED ACCOUNTANT 01-09-2020 View Document
8 AUDITED FINANCIALS 18-19 01-09-2020 ------
9 AUDITED FINANCIALS 16-17 01-09-2020 ------
10 AUDITED FINANCIALS 17-18 01-09-2020 ------
11 FOREST NOC 07-09-2020 ------
12 MOM AND AOA 14-09-2020 ------
13 FINANCIALS 19-20 15-09-2020 ------
14 SERVICE PLANS SHOWING THE SERVICES ON THE LAYOUT PLAN 10-09-2020 View Document
15 ZONING PLAN 10-09-2020 View Document
16 ORDER FOR TRANSFER OF LICENCE 10-09-2020 ------
17 APPROVAL OF ZONING PLAN 10-09-2020 ------
18 DECLARATION SUPPORTED BY AFFIDAVIT DULY SIGNED BY THE PROMOTER TO BE ENCLOSED. 15-09-2020 View Document
19 CASH FLOW STATEMENT OF THE PROPOSED PROJECT 15-09-2020 View Document












Sr. No.Document DescriptionDate of Document UploadView Document
1 COMPLETION CERTIFICATE 14-01-2025 View Document